Pronájem skladu, Adamov, 2000 m2 (ID: 3388275)

Adamov

Cena na vyžádání /za metr čtvereční / rok Získejte výhodnou HYPOTÉKU

(+ energie + DPH)

Prémioví partneři v Adamově

Pojištění a finance

Informace k nemovitosti

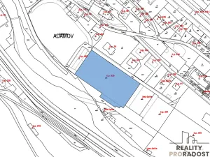
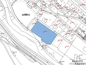
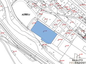
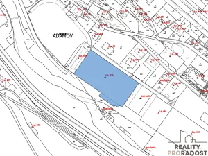
Ve výhradním zastoupení nabízíme pronájem části skladovací haly v Adamově. Jedná se o pronájem části skladovací haly, jejíž celková zastavěná plocha činí cca 7 000 m2. V této hale nabízíme k pronájmu plochu od 500 m2 s možností rozšíření až na 4 000 m2. Součástí haly jsou dva mostové jeřáby o nosnosti 5 tun a jeden s nosností 12 tun. V hale je k dispozici jak kancelářské, tak sociální zázemí. Dále jsou k pronájmu menší sklady mimo hlavní halu o výměrách cca 50 - 100 m2. Hala má dostatečný příkon elektřiny. K vjezdu do haly slouží výsuvná sekční vrata s velikostí pro vjezd kamionu o velikosti výška 4 500mm - šířka 3 690mm.

Zároveň nabízíme v tomto areálu větší i menší skladovací či výrobní prostory, které lze využít výrobě.

Nabídka přímo od majitele:
Karel Svoboda
STROJE SVOBODA s.r.o.
Svitavská 2397
678 01 Blansko
Mobile/Whatsapp: +420 608 860 497

Bez provize RK, při uzavírání nájemní smlouvy se hradí pouze kauce ve výši jednoho měsíčního nájmu.

Parametry nemovitosti

Cena
Cena na vyžádání
Poznámka k ceně
+ energie + DPH
Aktualizováno
9. 2. 2026
Adresa
Adamov
ID
16037
Stavba
Skeletová
Stav objektu
Velmi dobrý
Patro
1. z 2
Vybaveno
Ne
Typ objektu
Přízemní
Užitná plocha
2000 m2
Zastavěná plocha
7763 m2
Třída energetické náročnosti
G - Mimořádně nehospodárná
Převod do OV
Parkování

Kontaktovat makléře

Máte zájem o tuto nemovistost?

Tímto, v souladu s nařízením Evropského parlamentu a Rady (EU) 2016/679, v platném znění, prohlašuji, že mi je alespoň 16 let a uděluji tak svůj souhlas se zpracováním zadaných údajů (jméno, telefon, e-mail, ip adresa) společnosti B3 Technology, s.r.o., IČ: 07330600, se sídlem Novostavby 126/23, 435 11 Lom (správce dat), za účelem předání dotazu z tohoto formuláře Vámi vybranému inzerentovi a zpětného kontaktování mé osoby. Osobní údaje bude správce zpracovávat manuálně i automaticky přímo prostřednictvím svých zaměstnanců. Informace předané tímto formulářem budou uloženy v databázi správce maximálně po dobu 10 let. Odvolání souhlasu s uložením a zpracováním poskytnutých dat lze e-mailem na info@videobydleni.cz. V případě podezření na neoprávněné použití Vámi poskytnutých údajů máte právo předat podnět k šetření Úřadu pro ochranu osobních údajů. Více informací
Chystáte se prodat nemovitost?
Pomůžeme Vám!
Theleadway banner

Inzerát si prohlédlo 23 lidí

Prodejce

Karel Svoboda

Karel Svoboda

Hlídací pes

Chcete dostávat emailem podobné nabídky pronájmu skladů v Adamově (okr. Blansko)?


Nevyhovuje Vám typ nemovitosti? Podívejte se na jiné kategorie komerčních.


Vybrané články z našeho blogu