Pronájem výrobních prostor, Děčany - Solany, 500 m2

Solany

65 000 Kč /za měsíc Získejte výhodnou HYPOTÉKU
Prémioví partneři v Děčanech

Okna a dveře

Rekonstrukce

Informace k nemovitosti

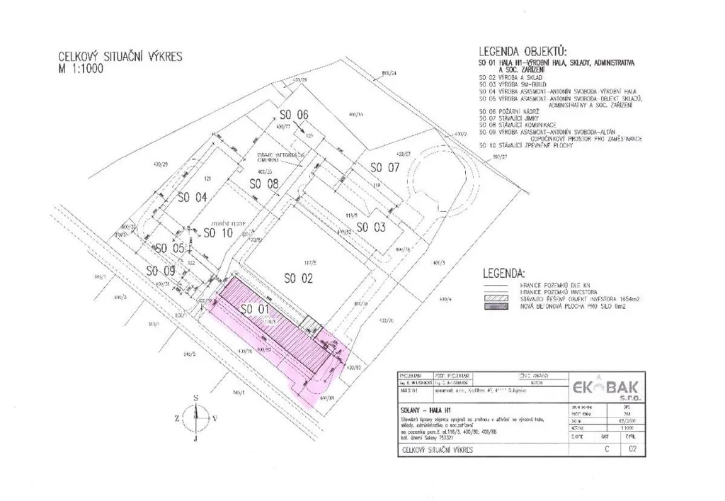
Nově v naší nabídce naleznete k pronájmu velký skladový a výrobní areál v klidné lokalitě obce Solany, která se nachází nedaleko Třebívlic. Celý komplex k pronájmu je nově zrekonstruovaný a zateplený PUR pěnou. Vnitřní prostory areálu disponují velikostí 500 m2.

Hala k pronájmu je součástí většího komplexu, který se nachází u příjezdové cesty. Objekt má celkově 4 vstupní vrata pro větší osobní a nákladní vozidla a celkově 4 samostatné a vzájemně propojené haly. Objekt má nová plastová okna a nově vyhotovené betonové podlahy, jedná se o dřevostavbu.

Objekt dále disponuje sociálním zázemím, v interiéru je možné bez problému vybudovat několik větších kanceláří pro vedení firmy. V jedné hale naleznete i nový ramenový (stranový) jeřáb. V další hale se nachází např. hydraulický zvedák na automobily, který je určený pro servis či opravy vozidel. U areálu lze bez problému zaparkovat vozidla všech svých pracovníků či vedení společnosti.

Skladový a výrobní areál má dostupné všechny potřebné inženýrské sítě (elektřina 230 V, elektřina 400 V a voda). Celý komplex je vytápěný. Skladový a výrobní komplex je ve velmi dobrém stavu a majitel objektu je otevřený menším interiérovým úpravám v hale. Celá projektová dokumentace je k dispozici na vyžádání. Pro více informací při zájmu o pronájem neváhejte kdykoliv kontaktovat realitního makléře.

Parametry nemovitosti

Cena
65 000 Kč /za měsíc
Aktualizováno
3. 3. 2026
Adresa
Solany
ID
370
Stavba
Dřevěná
Stav objektu
Po rekonstrukci
Typ objektu
Přízemní
Užitná plocha
500 m2
Třída energetické náročnosti
A - Mimořádně úsporná
Elektřina
230V, 400V
Odpad
Veřejná kanalizace
Telekomunikace
Telefon, Kabelové rozvody, Ostatní
Doprava
Vlak, Dálnice, Silnice, Autobus
Voda
Vodovod
Bezbarierový přístup

Kontaktovat makléře

Realitní kancelář

Logo Dobrá realitka

Dobrá realitka

Velká Dominikánská 102/23, Litoměřice-Město

Chystáte se prodat nemovitost?
Pomůžeme Vám!

Máte zájem o tuto nemovistost?

Tímto, v souladu s nařízením Evropského parlamentu a Rady (EU) 2016/679, v platném znění, prohlašuji, že mi je alespoň 16 let a uděluji tak svůj souhlas se zpracováním zadaných údajů (jméno, telefon, e-mail, ip adresa) společnosti B3 Technology, s.r.o., IČ: 07330600, se sídlem Novostavby 126/23, 435 11 Lom (správce dat), za účelem předání dotazu z tohoto formuláře Vámi vybranému inzerentovi a zpětného kontaktování mé osoby. Osobní údaje bude správce zpracovávat manuálně i automaticky přímo prostřednictvím svých zaměstnanců. Informace předané tímto formulářem budou uloženy v databázi správce maximálně po dobu 10 let. Odvolání souhlasu s uložením a zpracováním poskytnutých dat lze e-mailem na info@videobydleni.cz. V případě podezření na neoprávněné použití Vámi poskytnutých údajů máte právo předat podnět k šetření Úřadu pro ochranu osobních údajů. Více informací
Chystáte se prodat nemovitost?
Pomůžeme Vám!

Inzerát si prohlédlo 31 lidí

Prodejce

Mgr. Miroslav  Pokorný

Mgr. Miroslav Pokorný

Hlídací pes

Chcete dostávat emailem podobné nabídky pronájmu výrobních prostor v Děčanech?

Podobné nemovitosti


Nevyhovuje Vám typ nemovitosti? Podívejte se na jiné kategorie komerčních.


Vybrané články z našeho blogu