Prodej podílu pozemku, Spálené Poříčí, 3595 m2 (ID: 4143104)

Spálené Poříčí

313 000 Kč /za nemovitost Získejte výhodnou HYPOTÉKU
Prémioví partneři v Spáleném Poříčí

Stěhovací služby

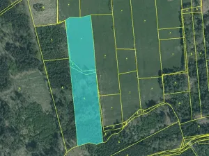
Informace k pozemku

Prodám pozemky v katastrálním území Struhaře.
Jedná se o st. 76/1 zastavěná plocha a nádvoří (bez čp/č.ev., zemědělská stavba) o celkové výměře 164 m2, vlastníme podíl 1/8 tudíž 21 m2.
Dále se jedná o ostatní plochu a to p.č. 1008/4 o celkové výměře 1 973 m2, vlastníme podíl 1/8 tudíž 247 m2 a p.č. 110/19 o celkové výměře 3 m2.
P.č. 1012/28 vedená jako orná půda o celkové výměře 4644 m2, vlastníme podíl 1/8 tudíž 581 m2.
Další parcely vedené jako trvalý travní porost a to p.č. 1012/39 o celkové výměře 248 m2, vlastníme podíl 1/8 tudíž 31 m2, p.č. 1016 o celkové výměře 413 m2, vlastníme podíl 1/8 tudíž 52 m2, p.č. 1017/1 o celkové výměře 1 511 m2, vlastníme podíl 1/8 tudíž 189 m2 a p.č. 1065/8 o celkové výměře 7 902 m2, vlastníme podíl 1/8 tudíž 988 m2.
Dále p.č. 1076/1 vedená jako lesní pozemek o celkové výměře 11 209 m2, vlastníme podíl 1/8 tudíž 1 401 m2 a p.č. 1083/16 vedená jako lesní pozemek o celkové výměře 683 m2, vlastníme podíl 1/8 tudíž 85 m2.
Vlastníme podíl 1/8 tudíž celkovou výměru 3 595 m2.

Parametry pozemku

Cena
313 000 Kč /za nemovitost
Aktualizováno
29. 4. 2026
Adresa
Spálené Poříčí
Plocha pozemku
3595 m2

Kontaktovat makléře

Máte zájem o tento pozemek?

Tímto, v souladu s nařízením Evropského parlamentu a Rady (EU) 2016/679, v platném znění, prohlašuji, že mi je alespoň 16 let a uděluji tak svůj souhlas se zpracováním zadaných údajů (jméno, telefon, e-mail, ip adresa) společnosti B3 Technology, s.r.o., IČ: 07330600, se sídlem Novostavby 126/23, 435 11 Lom (správce dat), za účelem předání dotazu z tohoto formuláře Vámi vybranému inzerentovi a zpětného kontaktování mé osoby. Osobní údaje bude správce zpracovávat manuálně i automaticky přímo prostřednictvím svých zaměstnanců. Informace předané tímto formulářem budou uloženy v databázi správce maximálně po dobu 10 let. Odvolání souhlasu s uložením a zpracováním poskytnutých dat lze e-mailem na info@videobydleni.cz. V případě podezření na neoprávněné použití Vámi poskytnutých údajů máte právo předat podnět k šetření Úřadu pro ochranu osobních údajů. Více informací
Chystáte se prodat nemovitost?
Pomůžeme Vám!

Inzerát si prohlédlo 3 lidí

Prodejce

Ing. Petra Zlámalová

Ing. Petra Zlámalová

Hlídací pes

Chcete dostávat emailem podobné nabídky prodeje podílu pozemků (ostatní) v Spáleném Poříčí?

Podobné nemovitosti


Nevyhovuje Vám typ pozemku? Podívejte se na jiné kategorie pozemků.


Vybrané články z našeho blogu