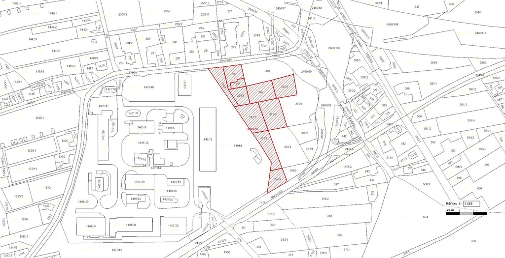
Prodej komerčního pozemku, Karviná - Lázně Darkov, Svornosti, 8447 m2

Svornosti, Karviná, Lázně Darkov

8 176 696 Kč HYPOTÉKA od 36 545 Kč /za měsíc

(včetně DPH, včetně poplatků, včetně právního servisu)

Prémioví partneři v Karviné

Pojištění a finance

Informace k pozemku

Prodej pozemků 8 447 m² Darkov

Prodej souboru pozemků v atraktivní lokalitě Darkov u Karvinského moře

Nabízíme k prodeji soubor pozemků o celkové výměře 8 447 m², nacházejících se v katastrálním území Darkov, statutární město Karviná. Konkrétně se jedná o parcely č. 298/1, 298/2, 300, 301, 312/2, 312/3, 312/5, 339/2, 348/4.
Pozemky jsou přístupné z ulice Svornosti a v současnosti jsou porostlé náletovými dřevinami.
Dle platného územního plánu jsou vedeny jako plochy občanského vybavení komerčního, což nabízí široké spektrum využití.
Pozemky jsou vhodné zejména pro výstavbu:
- stravovacího zařízení
- ubytovacího zařízení
- sportovního a rekreačního zázemí
- drobné nerušící výroby
- parkovacích a odstavných ploch
Pozemky jsou v současné době propachtovány k zemědělskému obhospodařování (orba, sečení). Pachtovní smlouva je uzavřena na dobu neurčitou, při prodeji ji lze ukončit s tříměsíční výpovědní lhůtou.
Velkou předností této nabídky je výjimečná poloha v bezprostřední blízkosti Karvinské moře – oblíbené rekreační oblasti s rostoucím turistickým potenciálem. Lokalita nabízí klidné prostředí plné zeleně, ideální pro volnočasové aktivity, a zároveň velmi dobrou dostupnost centra města i veškeré občanské vybavenosti.
Tato nabídka představuje zajímavou investiční příležitost s dlouhodobým potenciálem zhodnocení.

Parametry pozemku

Cena
8 176 696 Kč Spočítat hypotéku
Poznámka k ceně
včetně DPH, včetně poplatků, včetně právního servisu
Aktualizováno
5. 5. 2026
Adresa
Svornosti, Karviná, Lázně Darkov
ID
01289
Plocha pozemku
8447 m2

Kontaktovat makléře

Máte zájem o tento pozemek?

Tímto, v souladu s nařízením Evropského parlamentu a Rady (EU) 2016/679, v platném znění, prohlašuji, že mi je alespoň 16 let a uděluji tak svůj souhlas se zpracováním zadaných údajů (jméno, telefon, e-mail, ip adresa) společnosti B3 Technology, s.r.o., IČ: 07330600, se sídlem Novostavby 126/23, 435 11 Lom (správce dat), za účelem předání dotazu z tohoto formuláře Vámi vybranému inzerentovi a zpětného kontaktování mé osoby. Osobní údaje bude správce zpracovávat manuálně i automaticky přímo prostřednictvím svých zaměstnanců. Informace předané tímto formulářem budou uloženy v databázi správce maximálně po dobu 10 let. Odvolání souhlasu s uložením a zpracováním poskytnutých dat lze e-mailem na info@videobydleni.cz. V případě podezření na neoprávněné použití Vámi poskytnutých údajů máte právo předat podnět k šetření Úřadu pro ochranu osobních údajů. Více informací
Chystáte se prodat nemovitost?
Pomůžeme Vám!
Theleadway banner

Inzerát si prohlédlo 10 lidí

Prodejce

Alena Marušáková

Alena Marušáková

Hlídací pes

Chcete dostávat emailem podobné nabídky prodeje komerčních pozemků v Karviné?

Podobné nemovitosti


Nevyhovuje Vám typ pozemku? Podívejte se na jiné kategorie pozemků.


Vybrané články z našeho blogu