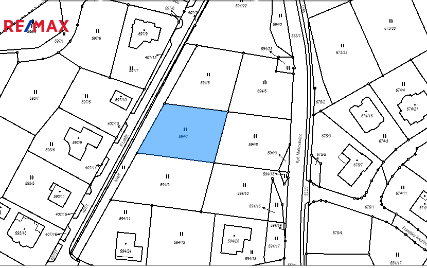
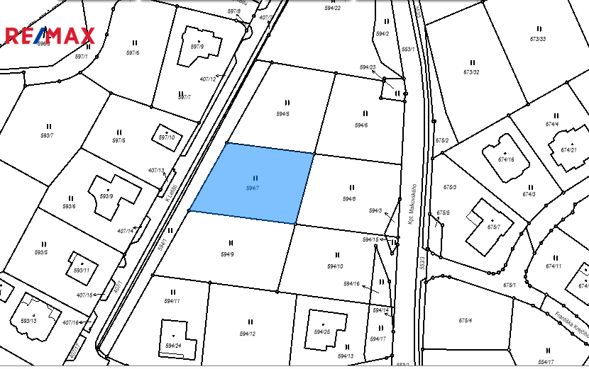
Prodej pozemku, Karlovy Vary, 1122 m2

Karlovy Vary

3 927 000 Kč /za nemovitost HYPOTÉKA od 17 551 Kč /za měsíc
Prémioví partneři v Karlových Varech

Pojištění a finance

Informace k pozemku

Nabízím ke koupi pozemek o celkové ploše 1122 m2 v v Hůrkach, část krajského města Karlovy Vary.
Hůrky leží v katastrálním území Olšová Vrata.
Pozemek se nachází v zabydlné části.
Možnost koupit vedlejší parcelu viz foto č.5.
Olšová Vrata historicky nejstarší část K.Varů, oblíbená rezidenční lokalita.
Je tu klid a čisté přírodní prostředí.
V centru Olšových Vrat je obchod s potravinami, penzion,
mateřská školka, MHD, tenisové kurty a dětské hřiště.
V sousední Kolové je pro žáky 1. stupně k dispozici základní škola rodinného typu
s družinou i školním autobusem pro děti z okolních obcí.
Blízko golfový areál, cyklotrasy.
Příjemné bydlení pro život mezi městem a přírodou, blízko lázeňského města,
rychlé napojení na výpadovku K.Vary - Praha.

Pokud Vás tato nabídka oslovila, neváhejte mě kontaktovat.

Možnost schválení hypotečního úvěru před zaplacením rezervačního poplatku,
možnost i 90% hypotéky, srovnání podmínek všech spolupracujících bank a stavebních spořitelen,
zrychlená forma schvalovacího procesu.

Hypotéka bez nemovitosti (schválení hypotéky bez nemovitosti a hypotéku následně můžete využít
na kteroukoliv nemovitost v Karlovarském kraji, kterou Vám pomohu najít). Prodávající si vyhrazuje právo vybrat kupujícího na základě jím zvolených kritérií.

Parametry pozemku

Cena
3 927 000 Kč /za nemovitost Spočítat hypotéku
Aktualizováno
14. 4. 2026
Adresa
Karlovy Vary
ID
294-NP00448
Vybaveno
Ne
Lokalita objektu
Centrum obce
Plocha pozemku
1122 m2
Převod do OV

Kontaktovat makléře

Realitní kancelář

Logo RE/MAX Glorion

RE/MAX Glorion

Krymská 1056/5, Karlovy Vary

Chystáte se prodat nemovitost?
Pomůžeme Vám!

Máte zájem o tento pozemek?

Tímto, v souladu s nařízením Evropského parlamentu a Rady (EU) 2016/679, v platném znění, prohlašuji, že mi je alespoň 16 let a uděluji tak svůj souhlas se zpracováním zadaných údajů (jméno, telefon, e-mail, ip adresa) společnosti B3 Technology, s.r.o., IČ: 07330600, se sídlem Novostavby 126/23, 435 11 Lom (správce dat), za účelem předání dotazu z tohoto formuláře Vámi vybranému inzerentovi a zpětného kontaktování mé osoby. Osobní údaje bude správce zpracovávat manuálně i automaticky přímo prostřednictvím svých zaměstnanců. Informace předané tímto formulářem budou uloženy v databázi správce maximálně po dobu 10 let. Odvolání souhlasu s uložením a zpracováním poskytnutých dat lze e-mailem na info@videobydleni.cz. V případě podezření na neoprávněné použití Vámi poskytnutých údajů máte právo předat podnět k šetření Úřadu pro ochranu osobních údajů. Více informací
Chystáte se prodat nemovitost?
Pomůžeme Vám!
Theleadway banner

Inzerát si prohlédlo 92 lidí

Prodejce

Julia Sidnina

Julia Sidnina

Hlídací pes

Chcete dostávat emailem podobné nabídky prodeje pozemků (ostatní) v Karlových Varech?

Podobné nemovitosti


Nevyhovuje Vám typ pozemku? Podívejte se na jiné kategorie pozemků.


Vybrané články z našeho blogu