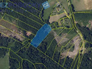
Prodej lesa, Vysočina, 26720 m2

Vysočina, Rváčov u Hlinska

33 Kč /za metr čtvereční HYPOTÉKA od 0 Kč /za měsíc
Prémioví partneři v Vysočině

Informace k pozemku

Nabízíme k prodeji lesní pozemek o celkové výměře 26 720 m², nacházející se v malebné lokalitě část obce Rváčov u Hlinska, v okrese Chrudim, těsně v rámci atraktivního regionu Vysočina.
Tento lesní pozemek představuje unikátní investiční příležitost pro osoby a subjekty hledající perspektivní místo s možnostmi rozvoje. V lese převažují smrkové porosty s menším zastoupením bukových porostů a dalších, stáří cca 40 let.

Parcela č. 600/5, lesní pozemek o výměře 8734 m2
Parcela č. 600/12, lesní pozemek o výměře 8139 m2
Parcela č. 600/11, lesní pozemek o výměře 96 m2
Parcela č. 152, lesní pozemek o výměře 9031 m2
Parcela č. 1221, lesní pozemek o výměře 720 m2

Parametry pozemku

Cena
33 Kč /za metr čtvereční Spočítat hypotéku
Aktualizováno
9. 4. 2025
Adresa
Vysočina, Rváčov u Hlinska
ID
5486
Lokalita objektu
Samota
Plocha pozemku
26720 m2
Převod do OV

Kontaktovat makléře

Máte zájem o tento pozemek?

Tímto, v souladu s nařízením Evropského parlamentu a Rady (EU) 2016/679, v platném znění, prohlašuji, že mi je alespoň 16 let a uděluji tak svůj souhlas se zpracováním zadaných údajů (jméno, telefon, e-mail, ip adresa) společnosti B3 Technology, s.r.o., IČ: 07330600, se sídlem Novostavby 126/23, 435 11 Lom (správce dat), za účelem předání dotazu z tohoto formuláře Vámi vybranému inzerentovi a zpětného kontaktování mé osoby. Osobní údaje bude správce zpracovávat manuálně i automaticky přímo prostřednictvím svých zaměstnanců. Informace předané tímto formulářem budou uloženy v databázi správce maximálně po dobu 10 let. Odvolání souhlasu s uložením a zpracováním poskytnutých dat lze e-mailem na info@videobydleni.cz. V případě podezření na neoprávněné použití Vámi poskytnutých údajů máte právo předat podnět k šetření Úřadu pro ochranu osobních údajů. Více informací
Chystáte se prodat nemovitost?
Pomůžeme Vám!

Inzerát si prohlédlo 22 lidí

Prodejce

Zdeňka Hospodková

Zdeňka Hospodková

Hlídací pes

Chcete dostávat emailem podobné nabídky prodeje lesů v Vysočině?


Nevyhovuje Vám typ pozemku? Podívejte se na jiné kategorie pozemků.


Vybrané články z našeho blogu