Prodej pozemku pro bydlení, Čížová - Zlivice, 1147 m2 (ID: 4078058)

Čížová, Zlivice

2 700 Kč /za metr čtvereční HYPOTÉKA od 12 Kč /za měsíc
Prémioví partneři v Čížové

Výkup a prodej starého nábytku

Informace k pozemku

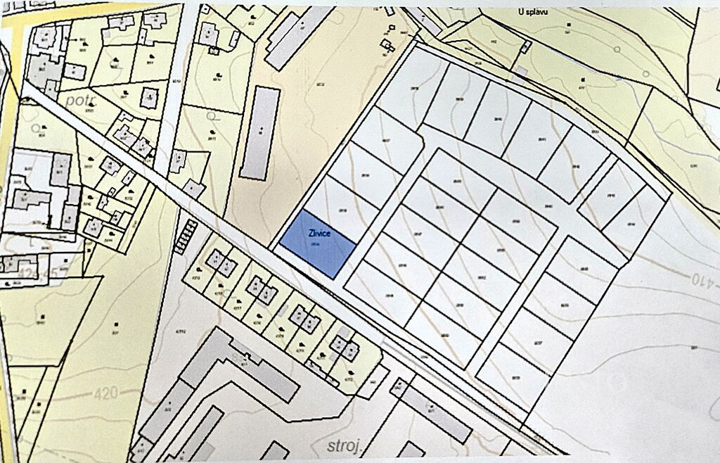
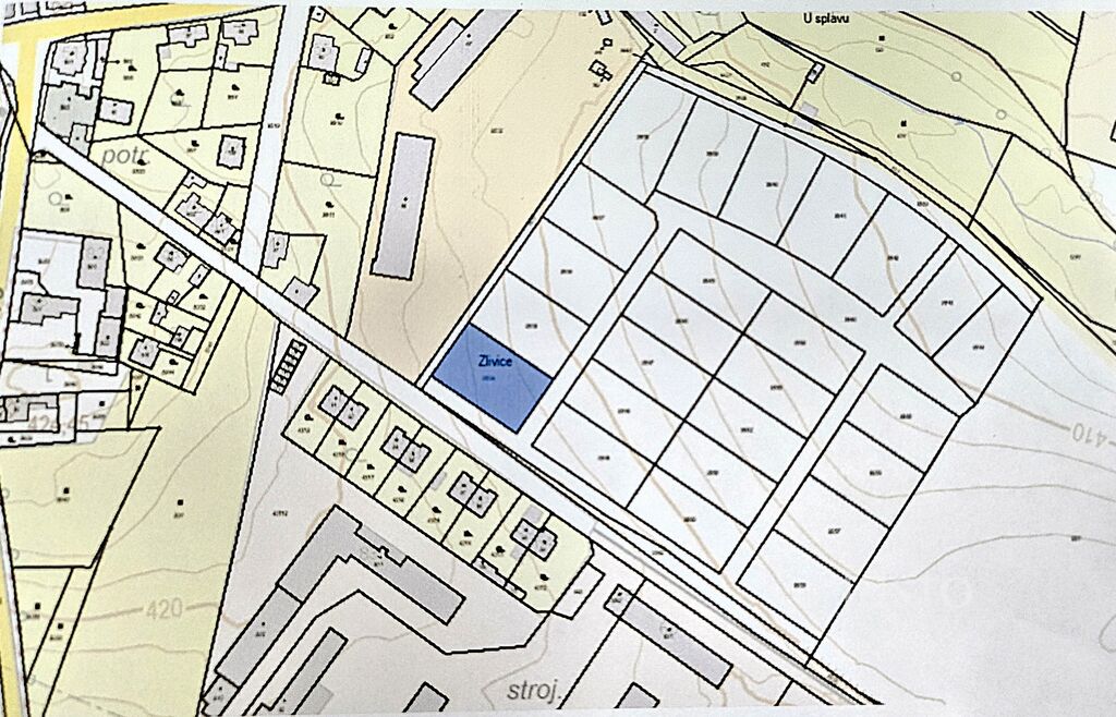
V zastoupení majitele nabízíme k prodeji pozemek o rozloze 1147 m², který se nachází v obci Zlivice u Čížové, okr. Písek.

Pozemek je situován u komunikace, která vede ze Zlivic do Písku. Na hranici pozemku je kaplička s přípojkou elektřiny a obecní kanalizace. Zdroj vody obecní kanalizace. Komunikace a osvětlení k pozemkům je momentálně ve výstavbě. Jedná se o satelitní výstavbu 25 parcel.

Zlivice jsou místní částí obce Čížová. Tvoří s ní z hlediska zástavby jednu oblast, Zlivice pokračují východním směrem tam, kde právě Čížová končí a přirozenou hranici tak tvoří pouze železniční trať z Písku do Zdic. Většinu zástavby Zlivic představují rodinné domy, nacházejí se zde ale i starší stavení. V dosahu obce je obec Čížová vzdálenost 5 min s veškerou občanskou vybaveností.

Parametry pozemku

Cena
2 700 Kč /za metr čtvereční Spočítat hypotéku
Aktualizováno
27. 10. 2025
Adresa
Čížová, Zlivice
ID
J10442
Lokalita objektu
Klidná část obce
Vlastnictví
Osobní
Užitná plocha
1147 m2
Plocha pozemku
1147 m2
Elektřina
230V, 400V
Odpad
Veřejná kanalizace
Voda
Vodovod

Kontaktovat makléře

Realitní kancelář

Logo JUSTO Česká republika

JUSTO Česká republika

Korunní 2569/108, Vinohrady, Praha

Chystáte se prodat nemovitost?
Pomůžeme Vám!

Máte zájem o tento pozemek?

Tímto, v souladu s nařízením Evropského parlamentu a Rady (EU) 2016/679, v platném znění, prohlašuji, že mi je alespoň 16 let a uděluji tak svůj souhlas se zpracováním zadaných údajů (jméno, telefon, e-mail, ip adresa) společnosti B3 Technology, s.r.o., IČ: 07330600, se sídlem Novostavby 126/23, 435 11 Lom (správce dat), za účelem předání dotazu z tohoto formuláře Vámi vybranému inzerentovi a zpětného kontaktování mé osoby. Osobní údaje bude správce zpracovávat manuálně i automaticky přímo prostřednictvím svých zaměstnanců. Informace předané tímto formulářem budou uloženy v databázi správce maximálně po dobu 10 let. Odvolání souhlasu s uložením a zpracováním poskytnutých dat lze e-mailem na info@videobydleni.cz. V případě podezření na neoprávněné použití Vámi poskytnutých údajů máte právo předat podnět k šetření Úřadu pro ochranu osobních údajů. Více informací
Chystáte se prodat nemovitost?
Pomůžeme Vám!

Inzerát si prohlédlo 35 lidí

Prodejce

Markéta Modrová

Markéta Modrová

Hlídací pes

Chcete dostávat emailem podobné nabídky prodeje pozemků pro bydlení v Čížové?

Podobné nemovitosti


Nevyhovuje Vám typ pozemku? Podívejte se na jiné kategorie pozemků.


Vybrané články z našeho blogu