Prodej lesa, Suchov, 723 m2 (ID: 4089898)

Suchov

15 280 Kč /za nemovitost HYPOTÉKA od 68 Kč /za měsíc
Prémioví partneři v Suchově

Informace k pozemku

Láka Vás mít svůj vlastní les? Chcete mít 100% vlastnictví bez spoluvlastníků? To znamená, že se můžete těšit na plnou kontrolu nad svým majetkem. Nabízíme Vám jedinečnou příležitost investovat do lesních pozemků v okrese Hodonín, konkrétně v katastrálním území Suchov.

Nabízíme Vám následující pozemky v katastrálním území Suchov:
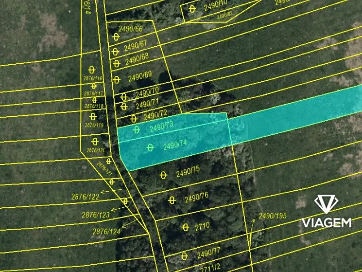
parc. č. 344/75 - výměra 604 m²
parc. č. 2490/73 - výměra 119 m²

Zajišťujeme rychlý prodej - připravíme kupní smlouvy a v případě zájmu Vám zajistíme ostatní právní služby. Zaručíme Vám jednoduchý a transparentní prodej. V případě zájmu nebo dotazů nás neváhejte kontaktovat na níže uvedeném telefonním čísle nebo e-mailu.

Tento inzerát není závaznou nabídkou inzerenta, podmínky prodeje se mohou v jeho průběhu měnit.

Parametry pozemku

Cena
15 280 Kč /za nemovitost Spočítat hypotéku
Aktualizováno
31. 1. 2026
Adresa
Suchov
ID
12385
Plocha pozemku
723 m2

Kontaktovat makléře

Máte zájem o tento pozemek?

Tímto, v souladu s nařízením Evropského parlamentu a Rady (EU) 2016/679, v platném znění, prohlašuji, že mi je alespoň 16 let a uděluji tak svůj souhlas se zpracováním zadaných údajů (jméno, telefon, e-mail, ip adresa) společnosti B3 Technology, s.r.o., IČ: 07330600, se sídlem Novostavby 126/23, 435 11 Lom (správce dat), za účelem předání dotazu z tohoto formuláře Vámi vybranému inzerentovi a zpětného kontaktování mé osoby. Osobní údaje bude správce zpracovávat manuálně i automaticky přímo prostřednictvím svých zaměstnanců. Informace předané tímto formulářem budou uloženy v databázi správce maximálně po dobu 10 let. Odvolání souhlasu s uložením a zpracováním poskytnutých dat lze e-mailem na info@videobydleni.cz. V případě podezření na neoprávněné použití Vámi poskytnutých údajů máte právo předat podnět k šetření Úřadu pro ochranu osobních údajů. Více informací
Chystáte se prodat nemovitost?
Pomůžeme Vám!

Inzerát si prohlédlo 10 lidí

Prodejce

Roman Barnet

Roman Barnet

Hlídací pes

Chcete dostávat emailem podobné nabídky prodeje lesů v Suchově?

Podobné nemovitosti


Nevyhovuje Vám typ pozemku? Podívejte se na jiné kategorie pozemků.


Vybrané články z našeho blogu