Prodej pole, Suchov, 281 m2 (ID: 4089941)

Suchov

6 656 Kč /za nemovitost HYPOTÉKA od 30 Kč /za měsíc
Prémioví partneři v Suchově

Informace k pozemku

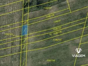
Nabízíme k prodeji soubor pěti pozemků nacházejících se v katastrálním území Suchov, okres Hodonín. Všechny pozemky jsou vedeny jako ostatní plocha, což umožňuje různé způsoby využití, například pro technické či rekreační účely.

Detail pozemků:
Parcela č. 1146/106 – výměra 47 m², přístup není
Souřadnice: 48.912606475, 17.557084138

Parcela č. 1883/5 – výměra 89 m², přístup reálný – není právní
Parcela č. 1883/24 – výměra 83 m², přístup reálný – není právní
Parcela č. 1883/26 – výměra 3 m², přístup reálný – není právní
Parcela č. 1891/38 – výměra 59 m², přístup reálný – není právní
Souřadnice: 48.907756167, 17.553632822

Další informace:
List vlastnictví: 706
Podíl: 100 %
Druh pozemku: Ostatní plocha
Přístup: U většiny pozemků je reálný, ale není právně zajištěn
Pozemky se nacházejí v malebné oblasti Bílých Karpat, což může být zajímavé pro investiční záměry, rozšíření sousedních nemovitostí či rekreační využití.

V případě zájmu nebo dotazů mě kontaktujte na uvedeném telefonním čísle nebo e-mailu. Připravte si prosím ID inzerátu.

Tento inzerát není závaznou nabídkou inzerenta, podmínky prodeje se mohou v jeho průběhu měnit.

Parametry pozemku

Cena
6 656 Kč /za nemovitost Spočítat hypotéku
Aktualizováno
13. 12. 2025
Adresa
Suchov
ID
12337
Plocha pozemku
281 m2

Kontaktovat makléře

Máte zájem o tento pozemek?

Tímto, v souladu s nařízením Evropského parlamentu a Rady (EU) 2016/679, v platném znění, prohlašuji, že mi je alespoň 16 let a uděluji tak svůj souhlas se zpracováním zadaných údajů (jméno, telefon, e-mail, ip adresa) společnosti B3 Technology, s.r.o., IČ: 07330600, se sídlem Novostavby 126/23, 435 11 Lom (správce dat), za účelem předání dotazu z tohoto formuláře Vámi vybranému inzerentovi a zpětného kontaktování mé osoby. Osobní údaje bude správce zpracovávat manuálně i automaticky přímo prostřednictvím svých zaměstnanců. Informace předané tímto formulářem budou uloženy v databázi správce maximálně po dobu 10 let. Odvolání souhlasu s uložením a zpracováním poskytnutých dat lze e-mailem na info@videobydleni.cz. V případě podezření na neoprávněné použití Vámi poskytnutých údajů máte právo předat podnět k šetření Úřadu pro ochranu osobních údajů. Více informací
Chystáte se prodat nemovitost?
Pomůžeme Vám!

Inzerát si prohlédlo 11 lidí

Prodejce

Simona Tichá

Simona Tichá

Hlídací pes

Chcete dostávat emailem podobné nabídky prodeje polí v Suchově?

Podobné nemovitosti


Nevyhovuje Vám typ pozemku? Podívejte se na jiné kategorie pozemků.


Vybrané články z našeho blogu