Prodej rodinného domu, Archlebov, 77 m2 (ID: 4091839)

Archlebov

780 000 Kč /za nemovitost HYPOTÉKA od 3 486 Kč /za měsíc

(Vyvolávací cena.)

Prémioví partneři v Archlebově

Informace k domu

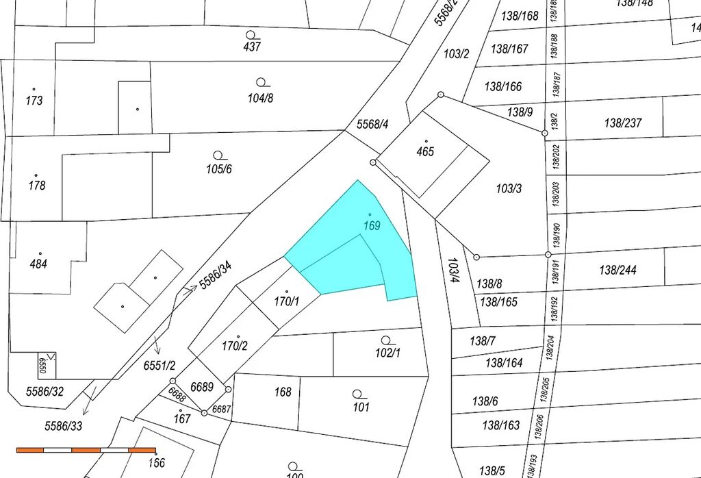
Prodej nemovitosti z insolvenčního řízení nejvyšší nabídce. Jedná se o řadový krajní objekt rodinného domu, částečně podsklepený, s jedním nadzemním podlažím. Je zděný, smíšené zdivo, střecha je sedlová s krytinou z profilovaného plechu, bleskosvod chybí, klempířské prvky jsou z plechu. Fasáda je břízolitová ve zhoršeném stavu. Okna jsou plastová, s rozbitou výplní, vnitřní vybavení převážně chybí. WC je splachovací, koupelna s vanou, umyvadlo. Vybavení kuchyně není, vytápění je chybějící. Dispozičně jde o byt 2+1. Napojení na IS nezjištěno, předpokládám NN, veřejný vodovod, kanalizaci.
Objekt není ve stavu, který by umožňoval užívání. Nemovitá věc není řádně zapsána v katastru nemovitostí. Prohlídkou znalce bylo zjištěno, že na pozemku původně stál objekt zcela jiného půdorysu.
Tento byl zřejmě z převážné části odstraněn, a na jeho zbytcích byl vystavěn současný objekt.
Zhoršený stav a minimální vybavení, spolu s malým pozemkem. Nutná bude zřejmě legalizace objektu.
Archlebov je obec v okrese Hodonín v Jihomoravském kraji, 12 km severozápadně od Kyjova, 3 km jihozápadně od Ždánic a 25 kilometrů severozápadně od Hodonína. Žije zde 860 obyvatel. Ze severu na jih protéká obcí Spálený potok, levostranný přítok Trkmanky.
Jedná se o vinařskou obec ve Slovácké vinařské podoblast (viniční tratě: Maliny, Dubová, Padělky, Panský). Sousedními obcemi sídla jsou Želetice, Žarošice, Dražůvky, Ždánice a Uhřice.
V Archlebově se nachází základní škola, mateřská škola, zdravotní středisko, pošta, pohostinství, prodejny smíšeného zboží, je zaveden plyn, vodovod a kanalizace.
Aktivitu vyvíjejí TJ Sokol, Sbor dobrovolných hasičů, Myslivecké sdružení Ochoz, Český zahrádkářský svaz, Český svaz včelařů, Smíšený a Mužský pěvecký sbor a Folklorní soubor Archlebjan a Archlebjánek.

Parametry domu

Cena
780 000 Kč /za nemovitost Spočítat hypotéku
Poznámka k ceně
Vyvolávací cena.
Aktualizováno
28. 10. 2025
Adresa
Archlebov
ID
1793
Stavba
Cihlová
Stav objektu
Ve výstavbě
Užitná plocha
77 m2
Plocha pozemku
266 m2

Kontaktovat makléře

Máte zájem o tento dům?

Tímto, v souladu s nařízením Evropského parlamentu a Rady (EU) 2016/679, v platném znění, prohlašuji, že mi je alespoň 16 let a uděluji tak svůj souhlas se zpracováním zadaných údajů (jméno, telefon, e-mail, ip adresa) společnosti B3 Technology, s.r.o., IČ: 07330600, se sídlem Novostavby 126/23, 435 11 Lom (správce dat), za účelem předání dotazu z tohoto formuláře Vámi vybranému inzerentovi a zpětného kontaktování mé osoby. Osobní údaje bude správce zpracovávat manuálně i automaticky přímo prostřednictvím svých zaměstnanců. Informace předané tímto formulářem budou uloženy v databázi správce maximálně po dobu 10 let. Odvolání souhlasu s uložením a zpracováním poskytnutých dat lze e-mailem na info@videobydleni.cz. V případě podezření na neoprávněné použití Vámi poskytnutých údajů máte právo předat podnět k šetření Úřadu pro ochranu osobních údajů. Více informací
Chystáte se prodat nemovitost?
Pomůžeme Vám!

Inzerát si prohlédlo 2 lidí

Prodejce

Petra Menšíková

Petra Menšíková

Hlídací pes

Chcete dostávat emailem podobné nabídky prodeje rodinných domů v Archlebově?

Podobné nemovitosti


Nevyhovuje Vám typ domu? Podívejte se na jiné kategorie domů.


Vybrané články z našeho blogu