Prodej pozemku pro bydlení, Hanušovice, 3222 m2 (ID: 4099460)

Hanušovice

2 849 000 Kč /za nemovitost HYPOTÉKA od 12 733 Kč /za měsíc
Prémioví partneři v Hanušovicích

Informace k pozemku

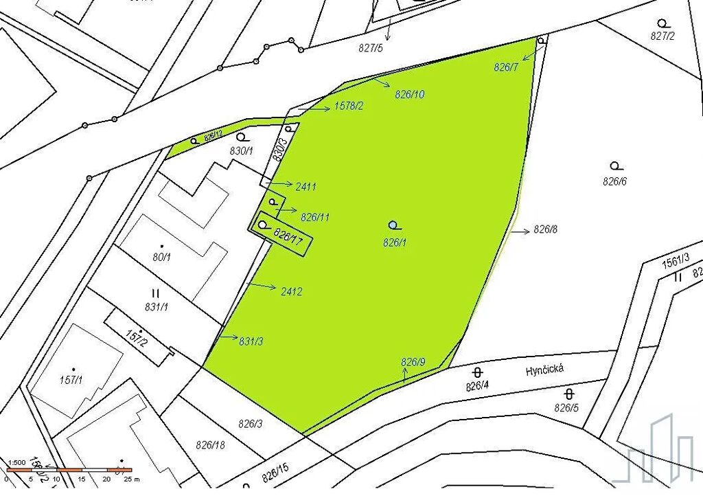
Nabízím ke koupi pozemky, o celkové výměře 3.222 m2, je určen k výstavbě rodinných domů, v obci Hanušovice, okres Šumperk. Vhodné k výstavbě tří až čtyř rodinných domů, pozemek možno rozdělit. Nachází se v ulici na konci obytné zástavby směrem na Jeseník.
V dosahu veškeré inženýrské sítě. Pozemek je umístěn na pěkném a dobře dostupném místě částečně kolem železniční trati. V územním plánu chváleno k zástavbě jako plocha smíšená venkovská, je v blízkosti řeky Branné, avšak mimo záplavovou zónu. Vhodné pro investora, na rozdělení jednotlivých parcel, nebo pro ty, kteří chtějí hospodářství, které je možno rozšířit o další plochu ve vlastnictví obce a není ji možno využít stavebně. Vhodný je také pro ty, kteří nechtějí mít spoustu sousedů. Výborná dopravní dostupnost a v samotné obci je umístěna veškerá občanská vybavenost. Ve vzdálenosti do 20 km jsou turistická střediska Kouty, Ramzová, Dolní Morava Paprsek, Kunčice, Stříbrnice a v neposlední řadě Lázně Velké Losiny, vyhlášené termální lázně.

Parametry pozemku

Cena
2 849 000 Kč /za nemovitost Spočítat hypotéku
Aktualizováno
18. 11. 2025
Adresa
Hanušovice
ID
142/5000
Plocha pozemku
3222 m2
Doprava
Vlak, Silnice, Autobus

Kontaktovat makléře

Realitní kancelář

VOYTA Reality

Mrázova 845/9, Litoměřice

Chystáte se prodat nemovitost?
Pomůžeme Vám!

Máte zájem o tento pozemek?

Tímto, v souladu s nařízením Evropského parlamentu a Rady (EU) 2016/679, v platném znění, prohlašuji, že mi je alespoň 16 let a uděluji tak svůj souhlas se zpracováním zadaných údajů (jméno, telefon, e-mail, ip adresa) společnosti B3 Technology, s.r.o., IČ: 07330600, se sídlem Novostavby 126/23, 435 11 Lom (správce dat), za účelem předání dotazu z tohoto formuláře Vámi vybranému inzerentovi a zpětného kontaktování mé osoby. Osobní údaje bude správce zpracovávat manuálně i automaticky přímo prostřednictvím svých zaměstnanců. Informace předané tímto formulářem budou uloženy v databázi správce maximálně po dobu 10 let. Odvolání souhlasu s uložením a zpracováním poskytnutých dat lze e-mailem na info@videobydleni.cz. V případě podezření na neoprávněné použití Vámi poskytnutých údajů máte právo předat podnět k šetření Úřadu pro ochranu osobních údajů. Více informací
Chystáte se prodat nemovitost?
Pomůžeme Vám!

Inzerát si prohlédlo 0 lidí

Prodejce

Antonín Soukup

Antonín Soukup

Hlídací pes

Chcete dostávat emailem podobné nabídky prodeje pozemků pro bydlení v Hanušovicích?

Podobné nemovitosti


Nevyhovuje Vám typ pozemku? Podívejte se na jiné kategorie pozemků.


Vybrané články z našeho blogu