Prodej pozemku pro bydlení, Otvovice, 10690 m2

Otvovice

25 000 000 Kč /za nemovitost HYPOTÉKA od 111 735 Kč /za měsíc

(nabídka přímého majitele - neplatíte provizi!)

Prémioví partneři v Otvovicích

Informace k pozemku

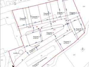
Prodej účelové společnosti Rezidence Dvůr Otvovice s.r.o. vlastnící pozemky a projektovou dokumentaci s vydaným územním rozhodnutím a požádaným povolením pro realizaci developerského projektu v obci Otvovice. Projekt se nachází v klidné části obce s kompletní infrastrukturou a výbornou dostupností do města Kralupy nad Vltavou.

Předmětem prodeje je soubor pozemků o celkové rozloze 10.690 m2, přičemž na rozdělení pozemků, komunikace a zasíťování existuje již vydané pravomocné územní rozhodnutí. Zároveň je aktuálně požádáno o stavební povolení.

Pozemek bude rozdělen na 9 parcel, které jsou určené ke stavbě rodinných domů. V rámci budoucí výstavby lze uvažovat o rodinných domech s jednou či dvěma bytovými jednotkami. Samotný projekt bude v režii nového majitelem, přičemž lze spolupracovat s projekční kanceláři, která zajišťuje první stupeň povolovacího procesu.

Vynikající dopravní dostupnost - sousední město Kralupy nad Vltavou je dobře napojeno na silniční a železniční dopravu. Vlakové spojení do Prahy je časté a rychlé (30min), což zvyšuje atraktivitu pro obyvatele hledající klidnější bydlení blízko hlavního města.

Aktuální rostoucí poptávka po bydlení v kombinaci s rostoucím počtem obyvatel a mladých rodin zvyšuje atraktivitu a zájem o moderní a kvalitní bydlení. Pro více informací a sjednání termínu osobního setkání se na nás neváhejte obrátit na níže uvedených kontaktech.

Parametry pozemku

Cena
25 000 000 Kč /za nemovitost Spočítat hypotéku
Poznámka k ceně
nabídka přímého majitele - neplatíte provizi!
Aktualizováno
13. 11. 2025
Adresa
Otvovice
ID
Otv1
Lokalita objektu
Centrum obce
Plocha pozemku
10690 m2
Elektřina
400V
Voda
Vodovod

Kontaktovat makléře

Máte zájem o tento pozemek?

Tímto, v souladu s nařízením Evropského parlamentu a Rady (EU) 2016/679, v platném znění, prohlašuji, že mi je alespoň 16 let a uděluji tak svůj souhlas se zpracováním zadaných údajů (jméno, telefon, e-mail, ip adresa) společnosti B3 Technology, s.r.o., IČ: 07330600, se sídlem Novostavby 126/23, 435 11 Lom (správce dat), za účelem předání dotazu z tohoto formuláře Vámi vybranému inzerentovi a zpětného kontaktování mé osoby. Osobní údaje bude správce zpracovávat manuálně i automaticky přímo prostřednictvím svých zaměstnanců. Informace předané tímto formulářem budou uloženy v databázi správce maximálně po dobu 10 let. Odvolání souhlasu s uložením a zpracováním poskytnutých dat lze e-mailem na info@videobydleni.cz. V případě podezření na neoprávněné použití Vámi poskytnutých údajů máte právo předat podnět k šetření Úřadu pro ochranu osobních údajů. Více informací
Chystáte se prodat nemovitost?
Pomůžeme Vám!

Inzerát si prohlédlo 1 lidí

Prodejce

BAK development - Pavol Bak

BAK development - Pavol Bak

Hlídací pes

Chcete dostávat emailem podobné nabídky prodeje pozemků pro bydlení v Otvovicích?

Podobné nemovitosti


Nevyhovuje Vám typ pozemku? Podívejte se na jiné kategorie pozemků.


Vybrané články z našeho blogu