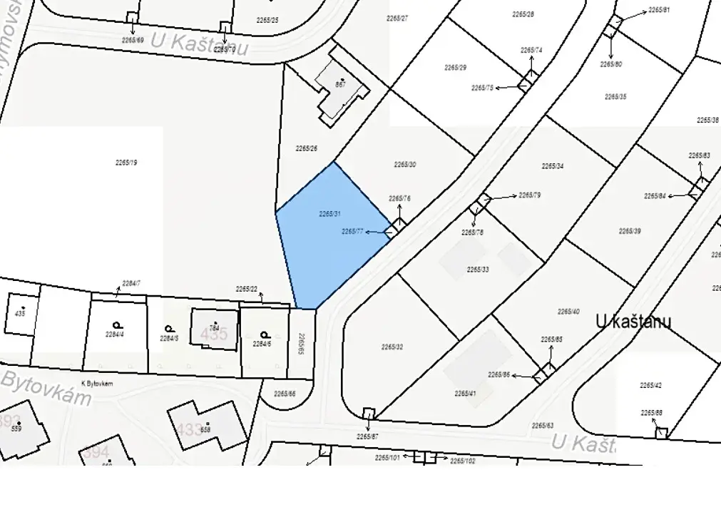
Prodej pozemku pro bydlení, Hudlice, U Kaštanu, 818 m2

U Kaštanu, Hudlice

4 400 000 Kč /za nemovitost HYPOTÉKA od 19 665 Kč /za měsíc
Prémioví partneři v Hudlicích

Informace k pozemku

Nabízíme k prodeji stavební pozemek o výměře 818 m2 v Hudlicích, okres Beroun.
Pozemek je územním plánem určený pro výstavbu domu s číslem popisným.
Pozemek je kompletně zasíťovaný, přípojka elektro, vodovodu a kanalizace jsou vybudované již přímo na pozemku. Na pozemku Vám můžeme postavit dům podle Vašich představ. Stavět zde je možné jen domy se sedlovou střechou. K dispozici je zde více pozemků.
Náš architekt je Vám k dispozici.

Parametry pozemku

Cena
4 400 000 Kč /za nemovitost Spočítat hypotéku
Aktualizováno
11. 2. 2026
Adresa
U Kaštanu, Hudlice
Plocha pozemku
818 m2

Kontaktovat makléře

Realitní kancelář

FINMARK CONSULTING, s.r.o.

Za Bažantnicí 987/6, Praha, Kunratice

Chystáte se prodat nemovitost?
Pomůžeme Vám!

Máte zájem o tento pozemek?

Tímto, v souladu s nařízením Evropského parlamentu a Rady (EU) 2016/679, v platném znění, prohlašuji, že mi je alespoň 16 let a uděluji tak svůj souhlas se zpracováním zadaných údajů (jméno, telefon, e-mail, ip adresa) společnosti B3 Technology, s.r.o., IČ: 07330600, se sídlem Novostavby 126/23, 435 11 Lom (správce dat), za účelem předání dotazu z tohoto formuláře Vámi vybranému inzerentovi a zpětného kontaktování mé osoby. Osobní údaje bude správce zpracovávat manuálně i automaticky přímo prostřednictvím svých zaměstnanců. Informace předané tímto formulářem budou uloženy v databázi správce maximálně po dobu 10 let. Odvolání souhlasu s uložením a zpracováním poskytnutých dat lze e-mailem na info@videobydleni.cz. V případě podezření na neoprávněné použití Vámi poskytnutých údajů máte právo předat podnět k šetření Úřadu pro ochranu osobních údajů. Více informací
Chystáte se prodat nemovitost?
Pomůžeme Vám!

Inzerát si prohlédlo 10 lidí

Prodejce

Marcela Šínová

Marcela Šínová

Hlídací pes

Chcete dostávat emailem podobné nabídky prodeje pozemků pro bydlení v Hudlicích?

Podobné nemovitosti


Nevyhovuje Vám typ pozemku? Podívejte se na jiné kategorie pozemků.


Vybrané články z našeho blogu