Prodej komerčního pozemku, Cheb, Nižnětagilská, 19626 m2 (ID: 4150817)

Nižnětagilská, Cheb

1 890 Kč /za metr čtvereční HYPOTÉKA od 8 Kč /za měsíc
Prémioví partneři v Chebu

Informace k pozemku

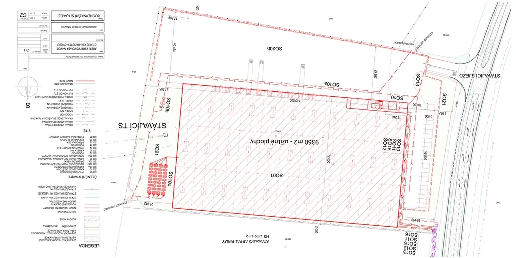
Nabízíme k prodeji komerční pozemek v průmyslové zóně města Chebu v místní části Hradiště u Chebu s vydaným Stavebním povolením na Truck centrum viz Koordinační situace v obrázcích s možností změny stavebního povolení na Logistickou halu s výškou 15 m. Pozemek je k dnešnímu dni napojen na veřejný vodovod a elektřinu, dále je povolena přípojka plynu a kanalizace, která je momentálně ve fázi přípravy realizace. Pozemek má vybudovaný sjezd. Bližší informace Vám rádi pošleme do emailu.

Parametry pozemku

Cena
1 890 Kč /za metr čtvereční Spočítat hypotéku
Aktualizováno
11. 1. 2026
Adresa
Nižnětagilská, Cheb
ID
4
Plocha pozemku
19626 m2
Elektřina
400V
Plyn
Plynovod
Odpad
Veřejná kanalizace
Doprava
Dálnice, Silnice
Voda
Vodovod

Kontaktovat makléře

Máte zájem o tento pozemek?

Tímto, v souladu s nařízením Evropského parlamentu a Rady (EU) 2016/679, v platném znění, prohlašuji, že mi je alespoň 16 let a uděluji tak svůj souhlas se zpracováním zadaných údajů (jméno, telefon, e-mail, ip adresa) společnosti B3 Technology, s.r.o., IČ: 07330600, se sídlem Novostavby 126/23, 435 11 Lom (správce dat), za účelem předání dotazu z tohoto formuláře Vámi vybranému inzerentovi a zpětného kontaktování mé osoby. Osobní údaje bude správce zpracovávat manuálně i automaticky přímo prostřednictvím svých zaměstnanců. Informace předané tímto formulářem budou uloženy v databázi správce maximálně po dobu 10 let. Odvolání souhlasu s uložením a zpracováním poskytnutých dat lze e-mailem na info@videobydleni.cz. V případě podezření na neoprávněné použití Vámi poskytnutých údajů máte právo předat podnět k šetření Úřadu pro ochranu osobních údajů. Více informací
Chystáte se prodat nemovitost?
Pomůžeme Vám!

Inzerát si prohlédlo 0 lidí

Prodejce

Dušan Bouška

Dušan Bouška

Hlídací pes

Chcete dostávat emailem podobné nabídky prodeje komerčních pozemků v Chebu?

Podobné nemovitosti


Nevyhovuje Vám typ pozemku? Podívejte se na jiné kategorie pozemků.


Vybrané články z našeho blogu