Remax Power 2

Prodej chaty, Dobříš, 50 m2

Dobříš, okres příbram

8 000 000 Kč /za nemovitost HYPOTÉKA od 35 755 Kč /za měsíc
Prémioví partneři v Dobříši

Revize elektrických zařízení

Informace k domu

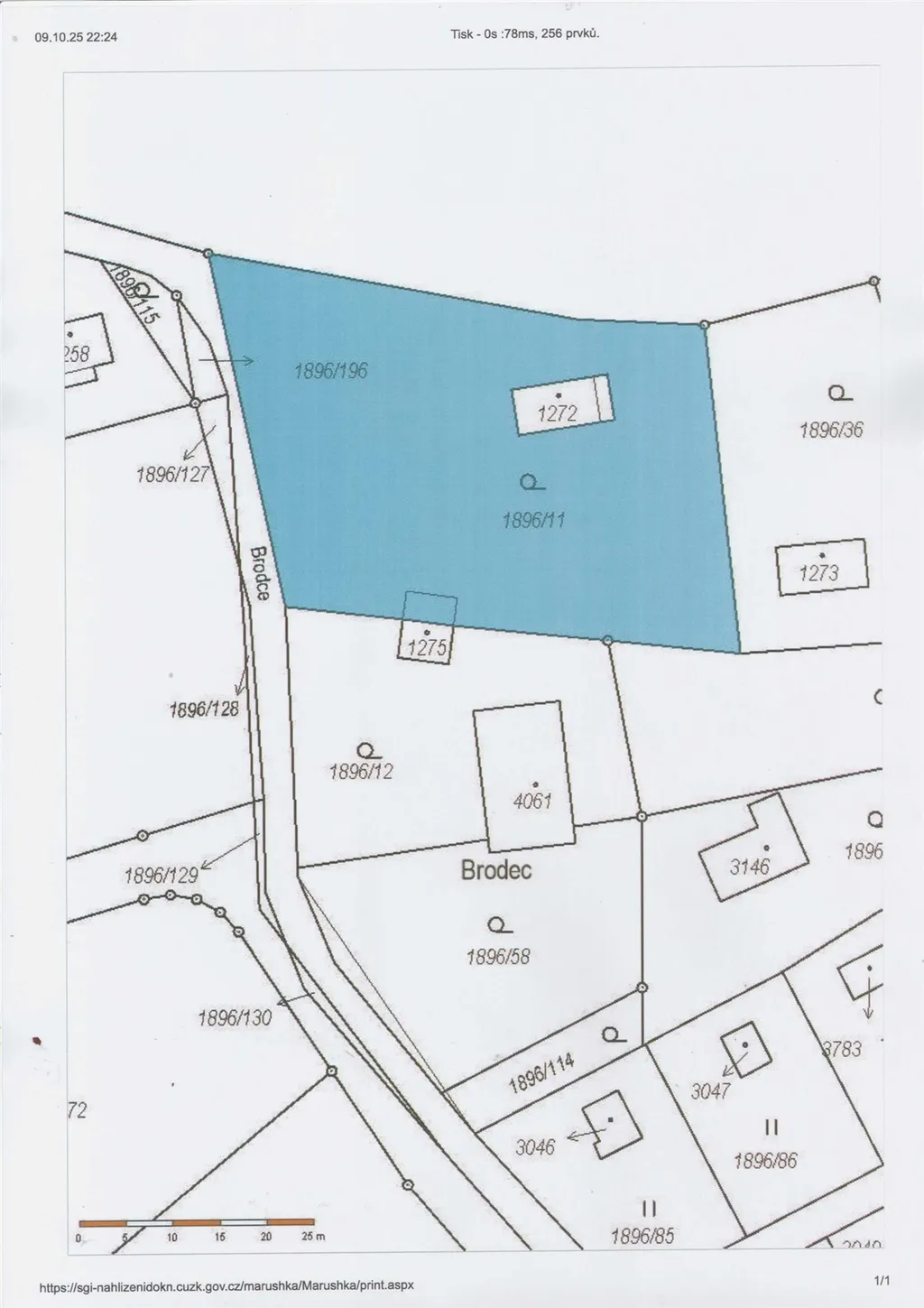
Nabízíme k prodeji chatu, která je součástí krásného rovinatého pozemku o výměře 1 761 m² určený k rekreaci nacházející se v malebné přírodní lokalitě Dobříš – Brodec, přímo u lesa a jen 2,4 km od oblíbeného rybníka Papež.
Součástí pozemku je:
• stará částečně zděná chata se zastavěnou plochou 50 m²,
• zděná dílna o výměře cca 15 m²,
• vlastní studna s pitnou vodou o hloubce 7,5 m, voda je cca 4 m
• zavedená elektřina,
• vzrostlé ovocné stromy.
Pozemek má přímý příjezd po zpevněné komunikaci a je ideální pro ty, kteří hledají místo pro klidnou rekreaci v přírodě, ale s výbornou dostupností do města.
Možnost nové výstavby: dle platného územního plánu je možné na pozemku vystavět nový rekreační objekt o maximální zastavěné ploše až 350 m² (včetně zpevněných ploch a případného krytého bazénu) do výšky 6 metrů (přízemí + podkroví).
Lokalita a dostupnost: Brodec je klidná rekreační oblast na okraji Dobříše – města s veškerou občanskou vybaveností (školy, obchody, restaurace, zdravotnická zařízení). Milovníci přírody ocení okolní lesy, turistické a cyklistické trasy i blízkost rybníků.
Dopravní spojení:
• Autem: do centra Prahy cca 35–40 minut (dálnice D4 – nájezd cca 5 minut od pozemku).
• Vlakem: přímé spojení Dobříš – Praha hlavní nádraží (cca 55 minut, pravidelné spoje).
• Autobusem: pravidelné spoje na Smíchovské nádraží (cca 40 minut).


Parametry domu

Cena
8 000 000 Kč /za nemovitost Spočítat hypotéku
Aktualizováno
23. 1. 2026
Adresa
Dobříš, okres příbram
ID
969207
Stavba
Dřevěná
Stav objektu
Špatný
Typ objektu
Přízemní
Vlastnictví
Osobní
Užitná plocha
50 m2
Zastavěná plocha
50 m2
Podlahová plocha
50 m2
Plocha pozemku
1761 m2
Třída energetické náročnosti
G - Mimořádně nehospodárná
Elektřina
230V
Doprava
Silnice
Voda
Místní zdroj vody
Parkování

Kontaktovat makléře

Realitní kancelář

Logo DARA, s.r.o.

DARA, s.r.o.

Káranská 345/20, Praha, Strašnice

Chystáte se prodat nemovitost?
Pomůžeme Vám!

Máte zájem o tento dům?

Tímto, v souladu s nařízením Evropského parlamentu a Rady (EU) 2016/679, v platném znění, prohlašuji, že mi je alespoň 16 let a uděluji tak svůj souhlas se zpracováním zadaných údajů (jméno, telefon, e-mail, ip adresa) společnosti B3 Technology, s.r.o., IČ: 07330600, se sídlem Novostavby 126/23, 435 11 Lom (správce dat), za účelem předání dotazu z tohoto formuláře Vámi vybranému inzerentovi a zpětného kontaktování mé osoby. Osobní údaje bude správce zpracovávat manuálně i automaticky přímo prostřednictvím svých zaměstnanců. Informace předané tímto formulářem budou uloženy v databázi správce maximálně po dobu 10 let. Odvolání souhlasu s uložením a zpracováním poskytnutých dat lze e-mailem na info@videobydleni.cz. V případě podezření na neoprávněné použití Vámi poskytnutých údajů máte právo předat podnět k šetření Úřadu pro ochranu osobních údajů. Více informací
Chystáte se prodat nemovitost?
Pomůžeme Vám!

Inzerát si prohlédlo 10 lidí

Prodejce

Ing. Daniela Randová

Ing. Daniela Randová

Hlídací pes

Chcete dostávat emailem podobné nabídky prodeje chat v Dobříši?

Top nabídky

Podobné nemovitosti


Nevyhovuje Vám typ domu? Podívejte se na jiné kategorie domů.


Vybrané články z našeho blogu