Soccer reality

Prodej pozemku pro bydlení, Kamenice - Těptín, 602 m2 (ID: 4174826)

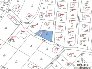
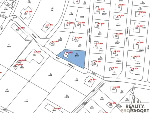
Kamenice, Těptín

4 599 000 Kč /za nemovitost HYPOTÉKA od 20 555 Kč /za měsíc
Prémioví partneři v Kamenici

Pojištění a finance

Informace k pozemku

Hledáte místo, kam můžete utéct z města… a zároveň investici, která dává smysl?

Tahle nemovitost má něco, co se nedá úplně popsat – musí se zažít. Klid, prostor, vůně lesa… a přitom jste jen kousek od Prahy.

Nabízím k prodeji rekreační objekt v žádané lokalitě Těptín, která dokonale spojuje přírodu s dostupností města. Už při první návštěvě ucítíte, že tady se zpomalí čas.

Ale nejde jen o místo pro odpočinek. Tohle je příležitost.

Stávající objekt je možné rozšířit v souladu s územním plánem a okolní zástavbou rekreačních objektů (evidenční číslo). Díky tomu se otevírá prostor pro výrazné zhodnocení – ať už se rozhodnete pro rekonstrukci, rozšíření nebo dlouhodobou investici.

Možná tu vznikne vaše víkendové útočiště.
Možná chytrý investiční projekt.
A možná obojí zároveň.

Co vám nemovitost nabízí:

možnost rozšíření dle územního plánu
využití pro rekreaci i celoroční bydlení
ideální příležitost pro investory i jednotlivce
vysoký potenciál budoucí hodnoty

Po citlivé úpravě může vzniknout opravdu výjimečné místo – takové, které si lidé nehledají jen podle parametrů, ale podle pocitu.

A lokalita? Ta hraje hlavní roli.
Těptín je dlouhodobě vyhledávaný pro svou klidnou atmosféru, krásnou přírodu a okolní lesy. Nabízí prostor pro aktivní odpočinek i absolutní relax. A přitom se do Prahy dostanete rychle a bez komplikací.

Upřímně – taková kombinace se dnes hledá čím dál hůř.

💰 Cena je uvedena včetně provize realitní kanceláře.
💡 Financování hypotečním úvěrem vám ráda pomohu zajistit za nejlepších možných podmínek. Veškerý právní servis, úschova kupní ceny i návrh na vklad do katastru jsou samozřejmostí.

📞 Pokud vás to zaujalo, ozvěte se mi. Ráda vás vezmu na prohlídku – protože tohle místo má smysl vidět naživo.

Parametry pozemku

Cena
4 599 000 Kč /za nemovitost Spočítat hypotéku
Aktualizováno
9. 4. 2026
Adresa
Kamenice, Těptín
ID
28789
Lokalita objektu
Klidná část obce
Plocha pozemku
602 m2
Odpad
Veřejná kanalizace
Voda
Vodovod, Studna
Převod do OV

Kontaktovat makléře

Máte zájem o tento pozemek?

Tímto, v souladu s nařízením Evropského parlamentu a Rady (EU) 2016/679, v platném znění, prohlašuji, že mi je alespoň 16 let a uděluji tak svůj souhlas se zpracováním zadaných údajů (jméno, telefon, e-mail, ip adresa) společnosti B3 Technology, s.r.o., IČ: 07330600, se sídlem Novostavby 126/23, 435 11 Lom (správce dat), za účelem předání dotazu z tohoto formuláře Vámi vybranému inzerentovi a zpětného kontaktování mé osoby. Osobní údaje bude správce zpracovávat manuálně i automaticky přímo prostřednictvím svých zaměstnanců. Informace předané tímto formulářem budou uloženy v databázi správce maximálně po dobu 10 let. Odvolání souhlasu s uložením a zpracováním poskytnutých dat lze e-mailem na info@videobydleni.cz. V případě podezření na neoprávněné použití Vámi poskytnutých údajů máte právo předat podnět k šetření Úřadu pro ochranu osobních údajů. Více informací
Chystáte se prodat nemovitost?
Pomůžeme Vám!
Theleadway banner

Inzerát si prohlédlo 14 lidí

Prodejce

Helena Murtinger

Helena Murtinger

Hlídací pes

Chcete dostávat emailem podobné nabídky prodeje pozemků pro bydlení v Kamenici (okr. Praha-východ)?

Podobné nemovitosti


Nevyhovuje Vám typ pozemku? Podívejte se na jiné kategorie pozemků.


Vybrané články z našeho blogu