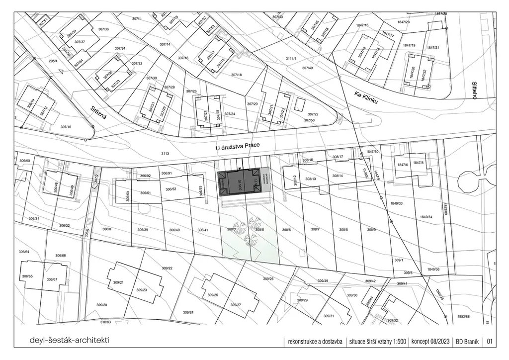
Prodej činžovního domu, Praha - Braník, U družstva Práce, 230 m2

U družstva Práce, Praha, Braník

35 000 000 Kč /za nemovitost HYPOTÉKA od 156 429 Kč /za měsíc
Prémioví partneři v Praze 4

Stěhovací služby

Výkup a prodej starého nábytku

Informace k nemovitosti

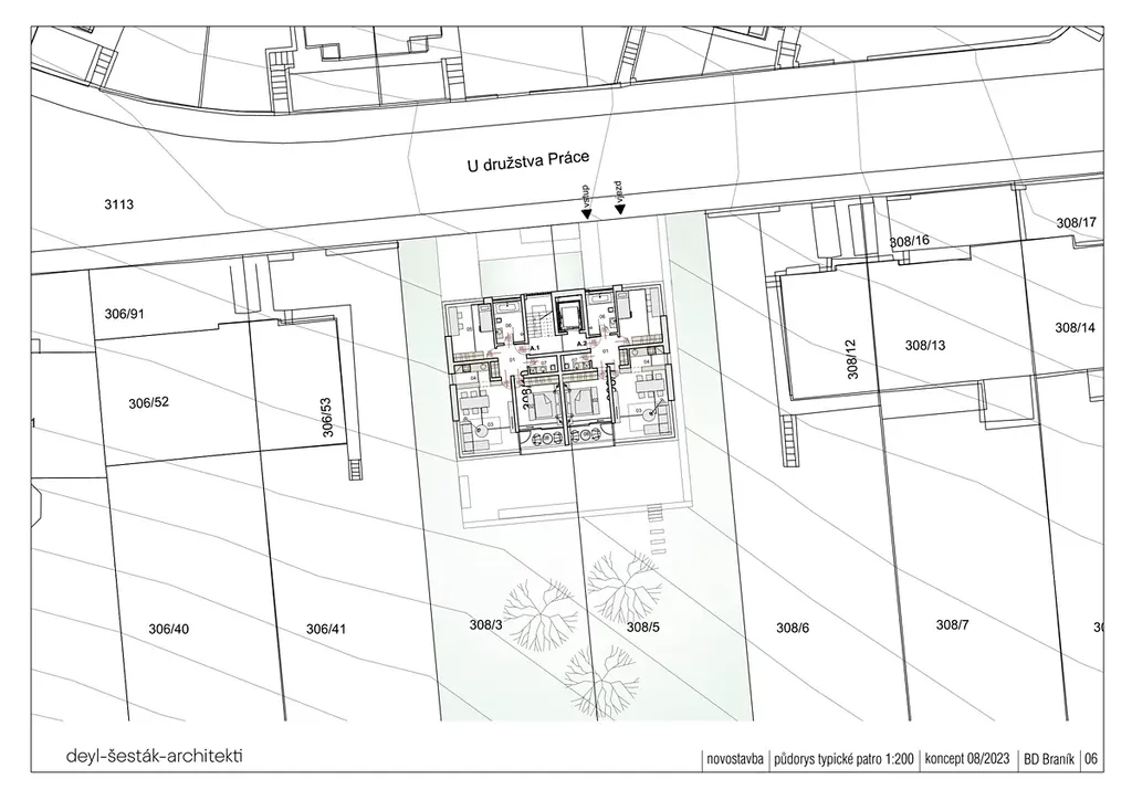
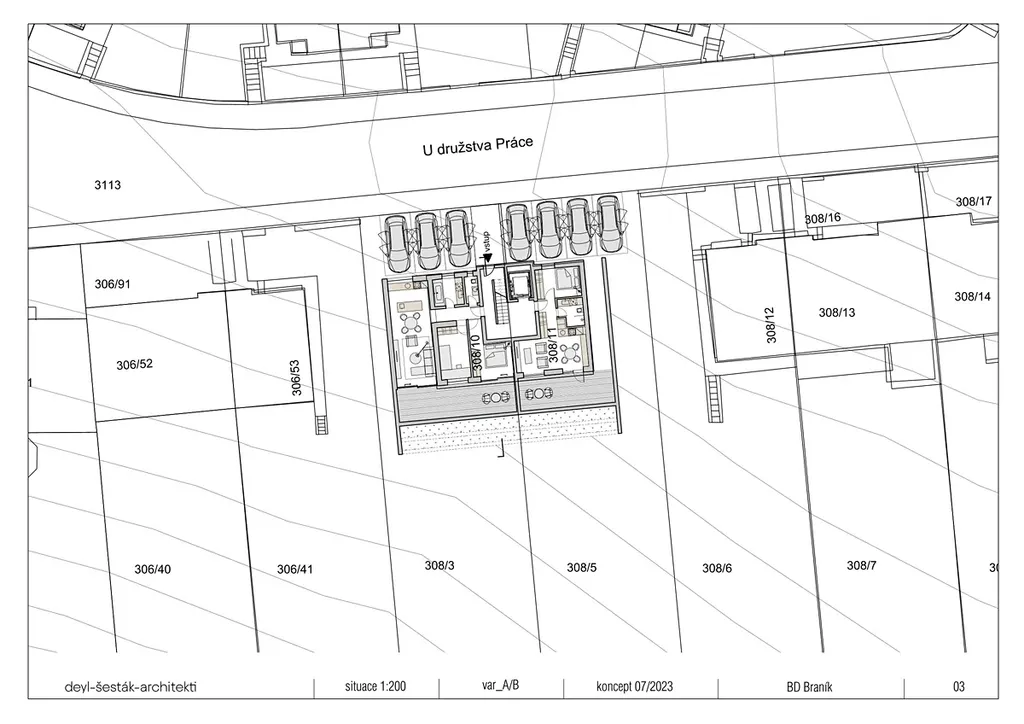
Rodinný dvojdům – výjimečná investiční příležitost

ul. U Družstva práce 26, 28 | Praha 4 – Braník

Nabízíme k prodeji kompletní rodinný dvojdům v atraktivní a klidné rezidenční části Prahy – Braníka. Lokalita je dlouhodobě vyhledávaná pro svůj rezidenční charakter, množství zeleně, blízkost Vltavy a volnočasových aktivit, a zároveň dobrou dostupnost do centra Prahy.

Braník představuje ideální kombinaci klidného bydlení a městského komfortu, což z něj činí stabilní a perspektivní lokalitu i z investičního pohledu.

Nemovitost

- Rodinný dvojdům – prodává se jako celek
- Stav: před rekonstrukcí
- Podlahová plocha: cca 230 m²
- Venkovní prostory: 862 m² (zahrada, terasy, pozemek)
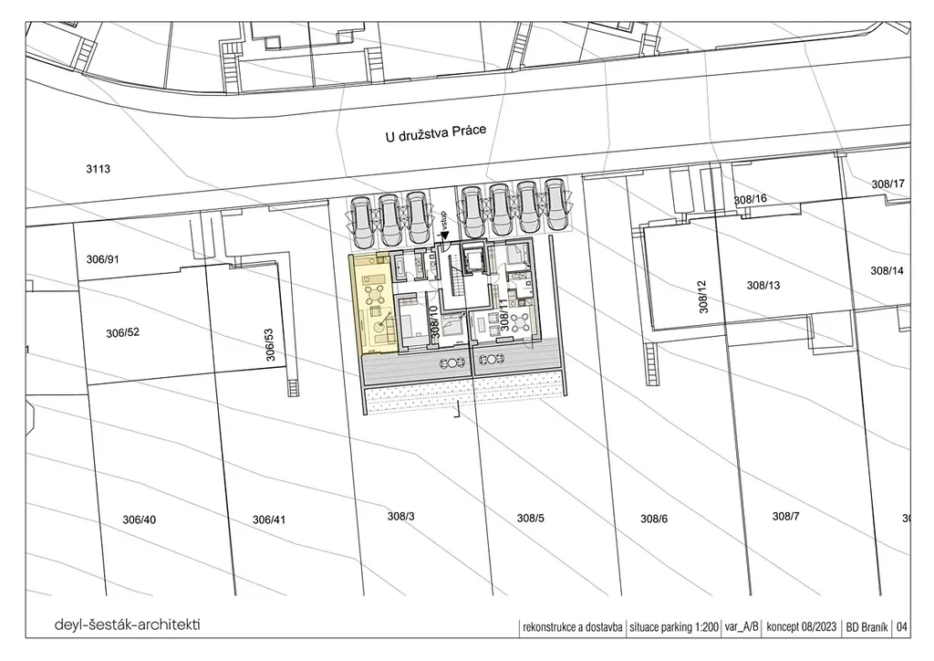
- Garáže i venkovní parkování na pozemku

Součástí nabídky jsou rovněž architektonické studie na rekonstrukci či dostavbu, které dávají jasnou představu o budoucím potenciálu objektu.

Dispozice

- Obě části dvojdomu disponují velkorysými dispozicemi:
- 6+ pokojů v každém domě
- Více koupelen a WC
- Technické místnosti, komory, šatny
- Balkóny a terasy orientované do zahrady

Dispozice umožňují široké spektrum využití – od komfortního rodinného bydlení až po investiční nebo vícegenerační řešení.

Technické zázemí

- Nové kondenzační plynové kotle v obou domech
- Napojení na veškeré inženýrské sítě (voda, elektřina, plyn)
- Technický základ objektu poskytuje dobrý výchozí stav pro budoucí rekonstrukci dle vlastních představ nebo projektových studií.

Investiční informace

Nemovitost je aktuálně pronajata – Nájemní smlouva je uzavřena do 30. 6. 2027, což zajišťuje stabilní výnos v přechodném období a zároveň dává novému majiteli časový prostor pro přípravu rekonstrukce či dalšího využití.

Využití

- Investiční příležitost s budoucím potenciálem zhodnocení
- Rodinné nebo vícegenerační bydlení po skončení nájemního vztahu
- Kombinace bydlení a podnikání

Cena

- 35 000 000 Kč za oba domy včetně pozemků a studií.

Parametry nemovitosti

Cena
35 000 000 Kč /za nemovitost Spočítat hypotéku
Aktualizováno
9. 2. 2026
Adresa
U družstva Práce, Praha, Braník
Stavba
Smíšená
Stav objektu
Před rekonstrukcí
Patro
3.
Vybaveno
Částečně
Lokalita objektu
Klidná část obce
Užitná plocha
230 m2
Zastavěná plocha
61 m2
Podlahová plocha
862 m2
Plyn
Plynovod
Odpad
Veřejná kanalizace
Komunikace
Dlážděná, Asfaltová
Voda
Vodovod
Topné těleso
Radiátory
Zdroj topení
Plynový kondenzační kotel
Zdroj teplé vody
Plynový kondenzační kotel
Garáž
Výtah
Bezbarierový přístup
Parkování

Kontaktovat makléře

Realitní kancelář

FTMO RE

Purkyňova 2121/3, Praha

Chystáte se prodat nemovitost?
Pomůžeme Vám!

Máte zájem o tuto nemovistost?

Tímto, v souladu s nařízením Evropského parlamentu a Rady (EU) 2016/679, v platném znění, prohlašuji, že mi je alespoň 16 let a uděluji tak svůj souhlas se zpracováním zadaných údajů (jméno, telefon, e-mail, ip adresa) společnosti B3 Technology, s.r.o., IČ: 07330600, se sídlem Novostavby 126/23, 435 11 Lom (správce dat), za účelem předání dotazu z tohoto formuláře Vámi vybranému inzerentovi a zpětného kontaktování mé osoby. Osobní údaje bude správce zpracovávat manuálně i automaticky přímo prostřednictvím svých zaměstnanců. Informace předané tímto formulářem budou uloženy v databázi správce maximálně po dobu 10 let. Odvolání souhlasu s uložením a zpracováním poskytnutých dat lze e-mailem na info@videobydleni.cz. V případě podezření na neoprávněné použití Vámi poskytnutých údajů máte právo předat podnět k šetření Úřadu pro ochranu osobních údajů. Více informací
Chystáte se prodat nemovitost?
Pomůžeme Vám!

Inzerát si prohlédlo 1 lidí

Prodejce

Ondřej Lopata

Ondřej Lopata

Hlídací pes

Chcete dostávat emailem podobné nabídky prodeje činžovních domů v Praze 4?

Podobné nemovitosti


Nevyhovuje Vám typ nemovitosti? Podívejte se na jiné kategorie komerčních.


Vybrané články z našeho blogu