Prodej pozemku, Nové Hrady, 2679 m2

Nové Hrady

148 000 Kč HYPOTÉKA od 661 Kč /za měsíc

(Prodávající si vyhrazuje právo vybrat kupujícího na základě jím zvolených kritérií.)

Prémioví partneři v Nových Hradech

Informace k pozemku

Prodej pozemků Nové Hrady u Skutče

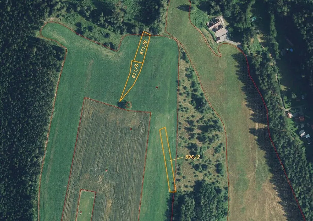
Nabízíme k prodeji tři pozemky o celkové výměře 2 679 m² nedaleko obce Nové Hrady u Skutče. V katastru nemovitostí jsou vedeny jako orná půda a trvalý travní porost. Velká část vyměry je vedena ve veřejném registru půdy LPIS s možností uplatnění dotace.
Obec Nové Hrady se nachází v okrese Ústí nad Orlicí, kraj Pardubický. Významným turistickým cílem oblasti je chráněný přírodní útvar Toulovcovy maštale tvořený pískovci bizarních tvarů, vzniklými v důsledku větrné a vodní eroze. Svojí rozlohou přes 10 km2 je lokalita vhodná k turistice, cykloturistice i rekreaci. Název katastrálního území je Nové Hrady u Skutče. V případě zájmu nás neváhejte kontaktovat.

Parametry pozemku

Cena
Poznámka k ceně
Prodávající si vyhrazuje právo vybrat kupujícího na základě jím zvolených kritérií.
Aktualizováno
24. 2. 2026
Adresa
Nové Hrady
ID
N01324
Plocha pozemku
2679 m2

Kontaktovat makléře

Realitní kancelář

Logo fondrealit.cz, s.r.o.

fondrealit.cz, s.r.o.

Rybná 669/4, Praha, Staré Město

Chystáte se prodat nemovitost?
Pomůžeme Vám!

Máte zájem o tento pozemek?

Tímto, v souladu s nařízením Evropského parlamentu a Rady (EU) 2016/679, v platném znění, prohlašuji, že mi je alespoň 16 let a uděluji tak svůj souhlas se zpracováním zadaných údajů (jméno, telefon, e-mail, ip adresa) společnosti B3 Technology, s.r.o., IČ: 07330600, se sídlem Novostavby 126/23, 435 11 Lom (správce dat), za účelem předání dotazu z tohoto formuláře Vámi vybranému inzerentovi a zpětného kontaktování mé osoby. Osobní údaje bude správce zpracovávat manuálně i automaticky přímo prostřednictvím svých zaměstnanců. Informace předané tímto formulářem budou uloženy v databázi správce maximálně po dobu 10 let. Odvolání souhlasu s uložením a zpracováním poskytnutých dat lze e-mailem na info@videobydleni.cz. V případě podezření na neoprávněné použití Vámi poskytnutých údajů máte právo předat podnět k šetření Úřadu pro ochranu osobních údajů. Více informací
Chystáte se prodat nemovitost?
Pomůžeme Vám!

Inzerát si prohlédlo 0 lidí

Prodejce

Romana Jungwirthová

Romana Jungwirthová

Hlídací pes

Chcete dostávat emailem podobné nabídky prodeje pozemků v Nových Hradech (okr. Ústí nad Orlicí)?

Podobné nemovitosti


Nevyhovuje Vám typ pozemku? Podívejte se na jiné kategorie pozemků.


Vybrané články z našeho blogu