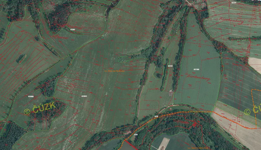
Prodej pole, Bělá nad Radbuzou, 174301 m2 (ID: 4206031)

Bělá nad Radbuzou

9 970 000 Kč /za nemovitost HYPOTÉKA od 44 560 Kč /za měsíc
Prémioví partneři v Bělé nad Radbuzou

Stěhovací služby

Informace k pozemku

Nabízíme k prodeji rozsáhle zemědělské pozemky v katastrálním území Bělá nad Radbuzou v okrese Domažlice. Celková prodejní výměra nabízených parcel vedených na listu vlastnictví číslo 517 činí 174.301 m2. Pachtovní smlouva je sjednána do 30.9.2026.

Prodávané parcely a jejich jednotlivé výměry:

parcela, druh, výměra (m2)
675, PZE 4503
677, PZE 4356
915, PZE 108
916, PZE 5769
917, PZE 8966
918, PZE 2298
919, PZE 4129
920, PZE 306
921, PZE 3079
922, PZE 1975
923, PZE 299
924, PZE 1701
929, PZE 3913
1145, PZE 79
1153/1, PZE 7366
1153/2, PZE 468
1154, PZE 3284
1155, PZE 194
1156, PZE 2090
1157, PZE 201
1158, PZE 734
1159, PZE 2568
1530, PZE 924
1532, PZE 17424
1535, PZE 7729
1536, PZE 4172
1537, PZE 122
1538, PZE 2550
1539, PZE 4802
1542, PZE 6804
1543, PZE 996
1544, PZE 1665
1545, PZE 1683
1546, PZE 1349
1584, PZE 2633
1585, PZE 86
1586, PZE 219
1587, PZE 6157
1588, PZE 21375
1589, PZE 259
1614, PZE 194
1762, PZE 1777
1763, PZE 180
1764, PZE 3050
1765, PZE 1759
1766, PZE 1716
1769, PZE 4345
1770, PZE 147
1771, PZE 119
2455, PZE 600
2456, PZE 10516
2575/1, PZE 5697
2601, PZE 4866
celkem 174301 m2

Parametry pozemku

Cena
9 970 000 Kč /za nemovitost Spočítat hypotéku
Aktualizováno
13. 3. 2026
Adresa
Bělá nad Radbuzou
Plocha pozemku
174301 m2

Kontaktovat makléře

Máte zájem o tento pozemek?

Tímto, v souladu s nařízením Evropského parlamentu a Rady (EU) 2016/679, v platném znění, prohlašuji, že mi je alespoň 16 let a uděluji tak svůj souhlas se zpracováním zadaných údajů (jméno, telefon, e-mail, ip adresa) společnosti B3 Technology, s.r.o., IČ: 07330600, se sídlem Novostavby 126/23, 435 11 Lom (správce dat), za účelem předání dotazu z tohoto formuláře Vámi vybranému inzerentovi a zpětného kontaktování mé osoby. Osobní údaje bude správce zpracovávat manuálně i automaticky přímo prostřednictvím svých zaměstnanců. Informace předané tímto formulářem budou uloženy v databázi správce maximálně po dobu 10 let. Odvolání souhlasu s uložením a zpracováním poskytnutých dat lze e-mailem na info@videobydleni.cz. V případě podezření na neoprávněné použití Vámi poskytnutých údajů máte právo předat podnět k šetření Úřadu pro ochranu osobních údajů. Více informací
Chystáte se prodat nemovitost?
Pomůžeme Vám!

Inzerát si prohlédlo 0 lidí

Prodejce

Rudolf Krištof

Rudolf Krištof

Hlídací pes

Chcete dostávat emailem podobné nabídky prodeje polí v Bělé nad Radbuzou?

Podobné nemovitosti


Nevyhovuje Vám typ pozemku? Podívejte se na jiné kategorie pozemků.


Vybrané články z našeho blogu