Prodej pozemku pro bydlení, Dolní Ředice, K Časům, 845 m2 (ID: 4213174)

K Časům, Dolní Ředice

2 550 000 Kč /za nemovitost HYPOTÉKA od 11 397 Kč /za měsíc

(včetně provize, včetně právního servisu)

Prémioví partneři v Dolních Ředicích

Pojištění a finance

Informace k pozemku

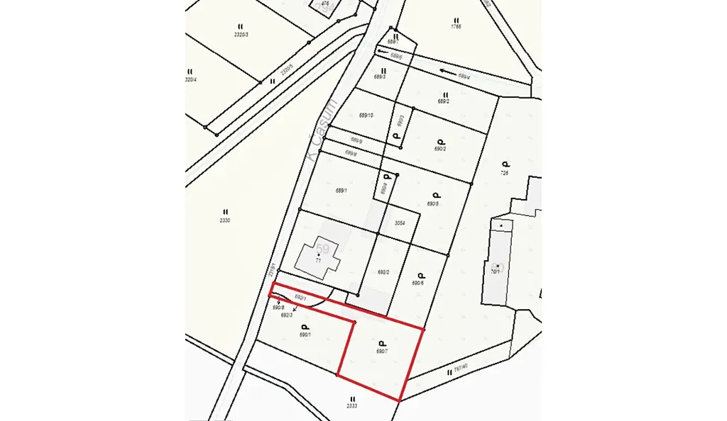
JEDINEČNÁ PŘÍLEŽITOST - PŘIPRAVUJEME k prodeji stavební pozemky v nově vznikající rezidenční lokalitě obce Dolní Ředice, která se nachází v atraktivní oblasti s vynikajícím spojením do Pardubic a na dálnici D35. V rámci komorního developerského projektu vzniká jen 8 prostorných stavebních parcel o výměrách od 615 m² do 946 m². Tento pozemek je v plánu označen jako pozemek č.4 a je umístěn v zadní klidnější zóně.

V lokalitě již proběhla demolice původních zemědělských objektů a projekt je nyní ve fázi parcelace a kompletního zasíťování. Ke každému pozemku budou přivedeny veškeré inženýrské sítě: elektřina, vodovod, splašková tlaková kanalizace i plynovod. Pohodlný příjezd je zajištěn po existující obecní asfaltové komunikaci. Územní plán počítá s výstavbou rodinných domů venkovského charakteru. Regulativy umožňují si postavit dům o dvou nadzemních podlažích s využitelným podkrovím. Střecha může být sedlová, s valbou nebo polovalbou. Koeficient zastavění max. 0,7.

AKTUALIZACE: 9.4.2026 bylo vydáno stavební povolení pro inženýrské sítě

Dolní Ředice nabízí vše potřebné pro příjemný život - mateřskou školu, obchod, hospodu i sportovní vyžití. Díky strategické poloze 5 km od Holic (kde najdete veškerou občanskou vybavenost včetně základní školy) a pouhých 20 km od Pardubic máte na dosah jak klid venkova, tak komfort města. Dopravní dostupnost je vynikající - obcí prochází silnicí II/322, funguje zde pravidelné autobusové spojení a do Pardubic dojedete autem za 20-25 minut. Napojení na dálnici D35 v blízkosti obce pak zajišťuje rychlé spojení směrem na Hradec Králové i Olomouc.
Tento projekt představuje vzácnou příležitost postavit si nový domov v klidné lokalitě s veškerou infrastrukturou, obklopen krásnou přírodou a přitom s výbornou dostupností do větších měst. Neváhejte nás kontaktovat pro bližší informace o této jedinečné nabídce.

Parametry pozemku

Cena
2 550 000 Kč /za nemovitost Spočítat hypotéku
Poznámka k ceně
včetně provize, včetně právního servisu
Aktualizováno
5. 5. 2026
Adresa
K Časům, Dolní Ředice
ID
00024
Plocha pozemku
845 m2
Elektřina
230V, 400V
Plyn
Plynovod
Odpad
Veřejná kanalizace
Komunikace
Asfaltová
Voda
Vodovod

Kontaktovat makléře

Máte zájem o tento pozemek?

Tímto, v souladu s nařízením Evropského parlamentu a Rady (EU) 2016/679, v platném znění, prohlašuji, že mi je alespoň 16 let a uděluji tak svůj souhlas se zpracováním zadaných údajů (jméno, telefon, e-mail, ip adresa) společnosti B3 Technology, s.r.o., IČ: 07330600, se sídlem Novostavby 126/23, 435 11 Lom (správce dat), za účelem předání dotazu z tohoto formuláře Vámi vybranému inzerentovi a zpětného kontaktování mé osoby. Osobní údaje bude správce zpracovávat manuálně i automaticky přímo prostřednictvím svých zaměstnanců. Informace předané tímto formulářem budou uloženy v databázi správce maximálně po dobu 10 let. Odvolání souhlasu s uložením a zpracováním poskytnutých dat lze e-mailem na info@videobydleni.cz. V případě podezření na neoprávněné použití Vámi poskytnutých údajů máte právo předat podnět k šetření Úřadu pro ochranu osobních údajů. Více informací
Chystáte se prodat nemovitost?
Pomůžeme Vám!
Theleadway banner

Inzerát si prohlédlo 11 lidí

Prodejce

Ing. Pavel Antropius

Ing. Pavel Antropius

Hlídací pes

Chcete dostávat emailem podobné nabídky prodeje pozemků pro bydlení v Dolních Ředicích?

Podobné nemovitosti


Nevyhovuje Vám typ pozemku? Podívejte se na jiné kategorie pozemků.


Vybrané články z našeho blogu