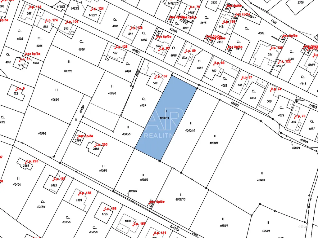
Prodej pozemku pro bydlení, Týnec nad Sázavou, 1201 m2

Týnec nad Sázavou

7 500 000 Kč /za nemovitost HYPOTÉKA od 33 520 Kč /za měsíc
Prémioví partneři v Týnci nad Sázavou

Informace k pozemku

Hledáte místo pro moderní bydlení, kde už byla ta nejtěžší práce odvedena?

Nabízíme k prodeji slunný stavební pozemek o rozloze 1 201 m² v klidné části Chrástu nad Sázavou. Na pozemku se nachází rozestavěná stavba moderního rodinného domu s platným stavebním povolením a kompletní projektovou dokumentací.

Stav rozestavěnosti

Nemusíte čekat na úřady ani bagry. Na místě je již hotovo:

Zemní práce a terénní úpravy.

Kompletní základová deska včetně prostupů pro inženýrské sítě.

Částečná hrubá stavba suterénu (1. PP) – připraveno k pokračování výstavby.

Dispozice a popis budoucího domu

Projekt počítá s velkorysým, technologicky vyspělým domem rozděleným do dvou podlaží o celkové užitné ploše cca 236 m².

Suterén (1. PP – 128,84 m²): Klidová a relaxační zóna. Dominantou je prostorný obývací pokoj (33 m²) s krbem a vstupem na terasu, ložnice, pokoj/tělocvična, koupelna a luxusní zázemí se saunou a ochlazovnou.

Přízemí (1. NP – 107,91 m²): Vstupní podlaží s velkou dvougaráží (42,5 m²), pracovnou (letním bytem), čajovým pokojem a další koupelnou.

Exteriér: Moderní architektura s plochou zelenou střechou, dřevěnými okny v antracitovém odstínu a kombinací pískové a šedé omítky.

Lokalita a občanská vybavenost

Týnec nad Sázavou je vyhledávanou lokalitou pro svou perfektní rovnováhu mezi přírodou a městským komfortem:

Dopravní dostupnost: Výborné spojení do Prahy (vlak, BUS, auto cca 35 min).

Vybavenost: V místě jsou mateřské i základní školy, poliklinika, pošta, supermarkety a široká síť služeb.

Volný čas: Jen pár kroků od řeky Sázavy a okolních lesů – ideální pro cyklistiku, turistiku či vodáctví.

Inženýrské sítě: Na pozemek je přivedena elektřina, splašková kanalizace a vodovod. Projekt řeší i hospodaření s dešťovou vodou pomocí akumulační nádrž

Tento pozemek je ideální pro někoho, kdo chce stavět ihned a bez administrativních průtahů.

Parametry pozemku

Cena
7 500 000 Kč /za nemovitost Spočítat hypotéku
Aktualizováno
30. 3. 2026
Adresa
Týnec nad Sázavou
ID
19266
Lokalita objektu
Klidná část obce
Plocha pozemku
1201 m2
Odpad
Veřejná kanalizace
Komunikace
Asfaltová
Telekomunikace
Internet
Doprava
Silnice, Autobus
Voda
Vodovod
Převod do OV

Kontaktovat makléře

Realitní kancelář

Logo QARA, s.r.o.

QARA, s.r.o.

Šafaříkova 201/17, Praha

Chystáte se prodat nemovitost?
Pomůžeme Vám!

Máte zájem o tento pozemek?

Tímto, v souladu s nařízením Evropského parlamentu a Rady (EU) 2016/679, v platném znění, prohlašuji, že mi je alespoň 16 let a uděluji tak svůj souhlas se zpracováním zadaných údajů (jméno, telefon, e-mail, ip adresa) společnosti B3 Technology, s.r.o., IČ: 07330600, se sídlem Novostavby 126/23, 435 11 Lom (správce dat), za účelem předání dotazu z tohoto formuláře Vámi vybranému inzerentovi a zpětného kontaktování mé osoby. Osobní údaje bude správce zpracovávat manuálně i automaticky přímo prostřednictvím svých zaměstnanců. Informace předané tímto formulářem budou uloženy v databázi správce maximálně po dobu 10 let. Odvolání souhlasu s uložením a zpracováním poskytnutých dat lze e-mailem na info@videobydleni.cz. V případě podezření na neoprávněné použití Vámi poskytnutých údajů máte právo předat podnět k šetření Úřadu pro ochranu osobních údajů. Více informací
Chystáte se prodat nemovitost?
Pomůžeme Vám!

Inzerát si prohlédlo 0 lidí

Prodejce

Milan Škoda

Milan Škoda

Hlídací pes

Chcete dostávat emailem podobné nabídky prodeje pozemků pro bydlení v Týnci nad Sázavou?

Podobné nemovitosti


Nevyhovuje Vám typ pozemku? Podívejte se na jiné kategorie pozemků.


Vybrané články z našeho blogu