Prodej lesa, Nový Rychnov, 7440 m2

Nový Rychnov

Cena na vyžádání /za nemovitost Získejte výhodnou HYPOTÉKU

(minimální cena výběrového řízení 290.000,-)

Prémioví partneři v Novém Rychnově

Informace k pozemku

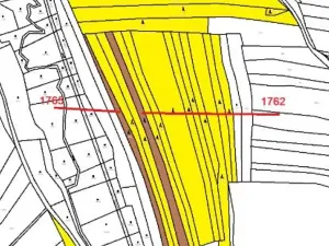
Jedná se o prodej 3 lesních pozemků o celkové výměře 7440 m2 (parc. č. 1739 o výměře 3386 m2, parc. č. 1762 o výměře 2464 m a parc. č. 1765 o výměře 1590 m2), nacházejících se jižně od obce Nový Rychnov, uvnitř privátních lesů. Pozemek parc. č. 1765 navazuje z východní části na soukromý les, západní stranou pak probíhá podél silnice III/1335. Po provedených těžbách je v porostech sníženo zakmenění, části pozemků jsou zarostlé trávou a buření.
Pozemky jsou prodávány formou výběrového řízení. Podmínky VŘ jsou zveřejněny na internetových stránkách Lesy České republiky s.p., prodej nepotřebných nemovitostí LČR nebo k vyzvednutí na LS Pelhřimov.

Parametry pozemku

Cena
Cena na vyžádání Spočítat hypotéku
Poznámka k ceně
minimální cena výběrového řízení 290.000,-
Aktualizováno
1. 4. 2026
Adresa
Nový Rychnov
ID
943/191/S949/25
Plocha pozemku
7440 m2

Kontaktovat makléře

Realitní kancelář

Lesy České republiky

Přemyslova 1106/19, Hradec Králové

Chystáte se prodat nemovitost?
Pomůžeme Vám!

Máte zájem o tento pozemek?

Tímto, v souladu s nařízením Evropského parlamentu a Rady (EU) 2016/679, v platném znění, prohlašuji, že mi je alespoň 16 let a uděluji tak svůj souhlas se zpracováním zadaných údajů (jméno, telefon, e-mail, ip adresa) společnosti B3 Technology, s.r.o., IČ: 07330600, se sídlem Novostavby 126/23, 435 11 Lom (správce dat), za účelem předání dotazu z tohoto formuláře Vámi vybranému inzerentovi a zpětného kontaktování mé osoby. Osobní údaje bude správce zpracovávat manuálně i automaticky přímo prostřednictvím svých zaměstnanců. Informace předané tímto formulářem budou uloženy v databázi správce maximálně po dobu 10 let. Odvolání souhlasu s uložením a zpracováním poskytnutých dat lze e-mailem na info@videobydleni.cz. V případě podezření na neoprávněné použití Vámi poskytnutých údajů máte právo předat podnět k šetření Úřadu pro ochranu osobních údajů. Více informací
Chystáte se prodat nemovitost?
Pomůžeme Vám!

Inzerát si prohlédlo 0 lidí

Prodejce

Světlana Pechová

Světlana Pechová

Hlídací pes

Chcete dostávat emailem podobné nabídky prodeje lesů v Novém Rychnově?

Podobné nemovitosti


Nevyhovuje Vám typ pozemku? Podívejte se na jiné kategorie pozemků.


Vybrané články z našeho blogu