Prodej komerčního pozemku, Hořovice, Pražská, 9478 m2

Pražská, Hořovice

40 000 000 Kč /za nemovitost HYPOTÉKA od 178 776 Kč /za měsíc

(včetně provize a právního servisu.)

Prémioví partneři v Hořovicích

Informace k pozemku

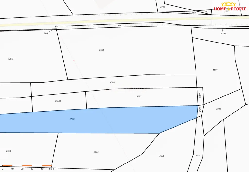
Nabízíme k prodeji pozemky parc. č. 876/8 a 876/9 v katastrálním území Velká Víska, situované v bezprostřední návaznosti na město Hořovice a rozvíjející se komerční zónu.

Dle územního plánu jsou pozemky určeny k zastavění a představují zajímavou investiční příležitost s potenciálem dalšího komerčního rozvoje. Bezprostřední sousedství nově vybudovaného Kauflandu potvrzuje rostoucí význam celé lokality a vytváří předpoklad pro budoucí rozšíření obchodních, službových či jiných podnikatelských aktivit.

Významným benefitem je rovněž blízkost technické infrastruktury, včetně vedení vysokého napětí, které může být výhodou z pohledu budoucího napojení a rozvoje komerčních projektů.

Lokalita nabízí výbornou dopravní dostupnost, viditelnou rozvojovou dynamiku a zajímavý potenciál budoucího zhodnocení.

Hlavní výhody:
- parcely č. 876/8 a 876/9
- lokalita Hořovice / Velká Víska
- dle územního plánu určeno k zastavění
- v sousedství nově vybudovaný Kaufland
- zajímavá investiční příležitost
- dobrá dostupnost a rozvojový potenciál území

Více informací, přesná výměra a podmínky prodeje na vyžádání. Ev. číslo: 32145.

Parametry pozemku

Cena
40 000 000 Kč /za nemovitost Spočítat hypotéku
Poznámka k ceně
včetně provize a právního servisu.
Aktualizováno
6. 4. 2026
Adresa
Pražská, Hořovice
ID
32145
Plocha pozemku
9478 m2

Kontaktovat makléře

Máte zájem o tento pozemek?

Tímto, v souladu s nařízením Evropského parlamentu a Rady (EU) 2016/679, v platném znění, prohlašuji, že mi je alespoň 16 let a uděluji tak svůj souhlas se zpracováním zadaných údajů (jméno, telefon, e-mail, ip adresa) společnosti B3 Technology, s.r.o., IČ: 07330600, se sídlem Novostavby 126/23, 435 11 Lom (správce dat), za účelem předání dotazu z tohoto formuláře Vámi vybranému inzerentovi a zpětného kontaktování mé osoby. Osobní údaje bude správce zpracovávat manuálně i automaticky přímo prostřednictvím svých zaměstnanců. Informace předané tímto formulářem budou uloženy v databázi správce maximálně po dobu 10 let. Odvolání souhlasu s uložením a zpracováním poskytnutých dat lze e-mailem na info@videobydleni.cz. V případě podezření na neoprávněné použití Vámi poskytnutých údajů máte právo předat podnět k šetření Úřadu pro ochranu osobních údajů. Více informací
Chystáte se prodat nemovitost?
Pomůžeme Vám!

Inzerát si prohlédlo 0 lidí

Prodejce

František Zbahna

František Zbahna

Hlídací pes

Chcete dostávat emailem podobné nabídky prodeje komerčních pozemků v Hořovicích?

Podobné nemovitosti


Nevyhovuje Vám typ pozemku? Podívejte se na jiné kategorie pozemků.


Vybrané články z našeho blogu