Prodej zahrady, Roštín, 548 m2

Roštín

1 500 000 Kč /za nemovitost HYPOTÉKA od 6 704 Kč /za měsíc

(včetně provize RK)

Prémioví partneři v Roštíně

Informace k pozemku

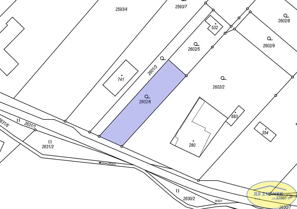
Nabízíme Vám k prodeji zahrádku o výměře 548 m2 v obci Roštín, okr. Kroměříž. Na oploceném rovinatém pozemku, který má rozměr cca 12 x 46 m se nachází dřevěná zahradní chatka bez základů (zast. plocha 12 m2) a starší ovocné stromy, převážně jabloně. Dle územního plánu obce je možné na pozemku postavit stavbu pro rodinnou rekreaci. Inženýrské sítě (voda a elektřina) jsou na hranici pozemku. Jedná se o oblíbenou lokalitu, v blízkosti se nachází koupaliště, tenisové kurty, rekreační areál Kamínka. K dispozici ihned. V případě zájmu o prohlídku nebo více informací mě neváhejte kontaktovat.

Parametry pozemku

Cena
1 500 000 Kč /za nemovitost Spočítat hypotéku
Poznámka k ceně
včetně provize RK
Aktualizováno
22. 4. 2026
Adresa
Roštín
ID
97468
Lokalita objektu
Klidná část obce
Plocha pozemku
548 m2

Kontaktovat makléře

Máte zájem o tento pozemek?

Tímto, v souladu s nařízením Evropského parlamentu a Rady (EU) 2016/679, v platném znění, prohlašuji, že mi je alespoň 16 let a uděluji tak svůj souhlas se zpracováním zadaných údajů (jméno, telefon, e-mail, ip adresa) společnosti B3 Technology, s.r.o., IČ: 07330600, se sídlem Novostavby 126/23, 435 11 Lom (správce dat), za účelem předání dotazu z tohoto formuláře Vámi vybranému inzerentovi a zpětného kontaktování mé osoby. Osobní údaje bude správce zpracovávat manuálně i automaticky přímo prostřednictvím svých zaměstnanců. Informace předané tímto formulářem budou uloženy v databázi správce maximálně po dobu 10 let. Odvolání souhlasu s uložením a zpracováním poskytnutých dat lze e-mailem na info@videobydleni.cz. V případě podezření na neoprávněné použití Vámi poskytnutých údajů máte právo předat podnět k šetření Úřadu pro ochranu osobních údajů. Více informací
Chystáte se prodat nemovitost?
Pomůžeme Vám!

Inzerát si prohlédlo 0 lidí

Prodejce

Ing. Dagmar Hanáková

Ing. Dagmar Hanáková

Hlídací pes

Chcete dostávat emailem podobné nabídky prodeje zahrad v Roštíně?

Podobné nemovitosti


Nevyhovuje Vám typ pozemku? Podívejte se na jiné kategorie pozemků.


Vybrané články z našeho blogu