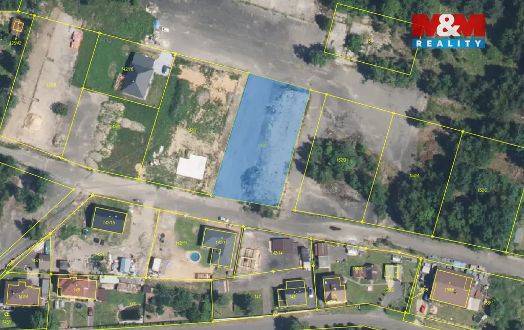
Prodej pozemku pro bydlení, Ralsko - Ploužnice, 1862 m2

Ralsko, Ploužnice

2 300 000 Kč /za nemovitost HYPOTÉKA od 10 280 Kč /za měsíc
Prémioví partneři v Ralsku

Rekonstrukce

Úklidové služby

Informace k pozemku

Prodej pozemku k bydlení, 1862 m², Ralsko - Hvězdov

Pokud hledáte stavební pozemek na klidném místě, tato nabídka vás jistě osloví. Nabízíme vám ke koupi rovinatý pozemek o celkové výměře 1 862 m² v místní části obce Ralsko – Hvězdov. Pozemek je dle územního plánu určen k výstavbě nízkopodlažního rodinného domu. Je zde povoleno maximálně 1 nadzemní podlaží + zakončující podlaží s maximální výškou zástavby 9 m. Maximální zastavitelnost pozemku je pak 20 %. K pozemku je již přivedena elektřina, vodu je nutné řešit vlastním vrtem a odpady domovní ČOV. Přístup k pozemku je z obecní asfaltové komunikace. Jedná se o klidnou lokalitu v přírodě, vhodnou pro rodiny s dětmi, s dobrou dostupností do nedalekého města Mimoň (5,7 km), kde najdete veškerou potřebnou občanskou vybavenost. V místě je i dobré turistické vyžití. Současný majitel odstraní zbylé části asfaltu s podkladovým kamenem v celé části pozemku. Případné financování zajistíme za výhodných podmínek. Více informací u makléře.

Parametry pozemku

Cena
2 300 000 Kč /za nemovitost Spočítat hypotéku
Aktualizováno
28. 4. 2026
Adresa
Ralsko, Ploužnice
ID
939989
Stav objektu
Dobrý
Vybaveno
Ne
Lokalita objektu
Klidná část obce
Vlastnictví
Osobní
Plocha pozemku
1862 m2

Kontaktovat makléře

Realitní kancelář

Logo M&M reality

M&M reality

ulice Krakovská 583/9, Praha

Chystáte se prodat nemovitost?
Pomůžeme Vám!

Máte zájem o tento pozemek?

Tímto, v souladu s nařízením Evropského parlamentu a Rady (EU) 2016/679, v platném znění, prohlašuji, že mi je alespoň 16 let a uděluji tak svůj souhlas se zpracováním zadaných údajů (jméno, telefon, e-mail, ip adresa) společnosti B3 Technology, s.r.o., IČ: 07330600, se sídlem Novostavby 126/23, 435 11 Lom (správce dat), za účelem předání dotazu z tohoto formuláře Vámi vybranému inzerentovi a zpětného kontaktování mé osoby. Osobní údaje bude správce zpracovávat manuálně i automaticky přímo prostřednictvím svých zaměstnanců. Informace předané tímto formulářem budou uloženy v databázi správce maximálně po dobu 10 let. Odvolání souhlasu s uložením a zpracováním poskytnutých dat lze e-mailem na info@videobydleni.cz. V případě podezření na neoprávněné použití Vámi poskytnutých údajů máte právo předat podnět k šetření Úřadu pro ochranu osobních údajů. Více informací
Chystáte se prodat nemovitost?
Pomůžeme Vám!

Inzerát si prohlédlo 2 lidí

Prodejce

Josef Horák

Josef Horák

Hlídací pes

Chcete dostávat emailem podobné nabídky prodeje pozemků pro bydlení v Ralsku?

Podobné nemovitosti


Nevyhovuje Vám typ pozemku? Podívejte se na jiné kategorie pozemků.


Vybrané články z našeho blogu