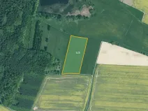
Vaše cesta k vysněnému pozemku je zase o něco kratší. Teď už stačí si jen vybrat jeden z prodejů louk.
Doksy, Staré Splavy

Liberec VI-Rochlice