Pronájem skladu, Praha - Řeporyje, K Třebonicům, 1850 m2 (ID: 4157899)

K Třebonicům, Praha, Řeporyje

129 500 Kč /za měsíc Získejte výhodnou HYPOTÉKU
Prémioví partneři v Praze 5

Stěhovací služby

Výkup a prodej starého nábytku

Informace k nemovitosti

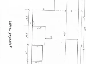
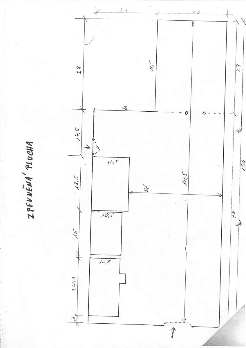
Nabízíme k pronájmu zpevněnou plochu o výměře 1850 m2 v areálu stavební formy v Praze 5, Řeporyjích.
Možnost využít pojízdný jeřáb.
Vedle plochy je kancelářský dům s užitnou plochou 180 m2. Možnost pronájmu plechové haly pod jeřábem.
Hala má zastavěnou plochu 155,4 m2 a vnitřní užitnou plochu 136,77 m2.
Měsíční nájemné:
Zpevněná plocha: 129.500,- Kč
Jeřáb: 51.750,- Kč
Šedá hala: 20.481,50 Kč
Kancelářský dům: 31.222,50 Kč
Paušální poplatky 7.125,- Kč
+ elektřina a a plyn

Parametry nemovitosti

Cena
129 500 Kč /za měsíc
Aktualizováno
21. 1. 2026
Adresa
K Třebonicům, Praha, Řeporyje
ID
N00056
Stavba
Montovaná
Stav objektu
Dobrý
Užitná plocha
1850 m2
Podlahová plocha
1850 m2
Třída energetické náročnosti
G - Mimořádně nehospodárná

Kontaktovat makléře

Realitní kancelář

Šolc REALITY, s.r.o.

Patočkova 1953/45, Praha, Břevnov

Chystáte se prodat nemovitost?
Pomůžeme Vám!

Máte zájem o tuto nemovistost?

Tímto, v souladu s nařízením Evropského parlamentu a Rady (EU) 2016/679, v platném znění, prohlašuji, že mi je alespoň 16 let a uděluji tak svůj souhlas se zpracováním zadaných údajů (jméno, telefon, e-mail, ip adresa) společnosti B3 Technology, s.r.o., IČ: 07330600, se sídlem Novostavby 126/23, 435 11 Lom (správce dat), za účelem předání dotazu z tohoto formuláře Vámi vybranému inzerentovi a zpětného kontaktování mé osoby. Osobní údaje bude správce zpracovávat manuálně i automaticky přímo prostřednictvím svých zaměstnanců. Informace předané tímto formulářem budou uloženy v databázi správce maximálně po dobu 10 let. Odvolání souhlasu s uložením a zpracováním poskytnutých dat lze e-mailem na info@videobydleni.cz. V případě podezření na neoprávněné použití Vámi poskytnutých údajů máte právo předat podnět k šetření Úřadu pro ochranu osobních údajů. Více informací
Chystáte se prodat nemovitost?
Pomůžeme Vám!

Inzerát si prohlédlo 2 lidí

Prodejce

Jan Šolc

Jan Šolc

Hlídací pes

Chcete dostávat emailem podobné nabídky pronájmu skladů v Praze 5?

Podobné nemovitosti


Nevyhovuje Vám typ nemovitosti? Podívejte se na jiné kategorie komerčních.


Vybrané články z našeho blogu